New York Stewart International Airport Stewart International Airport | |||||||||||||||
|---|---|---|---|---|---|---|---|---|---|---|---|---|---|---|---|
![]() | |||||||||||||||
![]() | |||||||||||||||
| Summary | |||||||||||||||
| Airport type | Public/Military | ||||||||||||||
| Owner | State of New York | ||||||||||||||
| Operator | Port Authority of New York and New Jersey | ||||||||||||||
| Serves | Hudson Valley | ||||||||||||||
| Location | 1180 First Street, New Windsor, NY[1] | ||||||||||||||
| Elevation AMSL | 491 ft / 150 m | ||||||||||||||
| Coordinates | 41°30′15″N 074°06′17″W / 41.50417°N 74.10472°W | ||||||||||||||
| Website | www.swfny.com | ||||||||||||||
| Maps | |||||||||||||||
![]() FAA airport diagram | |||||||||||||||
| Runways | |||||||||||||||
| |||||||||||||||
| Helipads | |||||||||||||||
| |||||||||||||||
| Statistics | |||||||||||||||
| |||||||||||||||
Stewart International Airport, officially New York Stewart International Airport (IATA: SWF, ICAO: KSWF, FAA LID: SWF), is a public/military airport in Orange County, New York, United States.[2] It is in the southern Hudson Valley, west of Newburgh, south of Kingston, and southwest of Poughkeepsie, approximately 60 miles (97 km) north of Manhattan, New York City.[4] The airport is located within the towns of Newburgh and New Windsor.[5][6] It is included in the Federal Aviation Administration (FAA) National Plan of Integrated Airport Systems for 2017–2021, in which it is categorized as a non-hub primary commercial service facility.[7]
Developed in the 1930s as a military base to allow cadets at the nearby United States Military Academy at West Point to learn aviation, it has grown into a significant passenger airport for the mid-Hudson region and continues as a military airfield, housing the 105th Airlift Wing of the New York Air National Guard and Marine Aerial Refueler Transport Squadron 452 (VMGR-452) of the United States Marine Corps Reserve. The Space Shuttle could have landed at Stewart in an emergency.[8]
After its closure as a U.S. Air Force base in the 1970s, an ambitious plan by Governor Nelson Rockefeller to expand and develop the airport led to a protracted struggle with local landowners that led to reforms in the state's eminent domain laws but no actual development of the land acquired. In 1981 the 52 American hostages held in Iran made their return to American soil at Stewart.
In 2000 the airport became the first U.S. commercial airport privatized when United Kingdom-based National Express was awarded a 99-year lease on the airport. After postponing its plans to change the facility's name after considerable local opposition, it sold the rights to the airport seven years later;[9] the Port Authority of New York and New Jersey board voted to acquire the remaining 93 years of the lease[10] and later awarded AFCO AvPorts the contract to operate the facility. The Port Authority rebranded the airport as New York Stewart International Airport in 2018 to emphasize its proximity to New York City.[11]
History
Stewart Dairy Farm
In 1930 Thomas "Archie" Stewart, an early aviation enthusiast and descendant of prominent local dairy farmer Lachlan Stewart, convinced his uncle Samuel Stewart to donate "Stoney Lonesome", split between the towns of Newburgh and New Windsor, to the nearby city of Newburgh for use as an airport.[12] With the city strapped for cash due to the Depression, however, it was unable to develop it in any way.

Stewart Airfield
In 1934 Douglas MacArthur, then superintendent of the United States Military Academy, proposed flight training cadets at the airport. The city sold the land to the military academy for one dollar. A small dirt airstrip was cleared and graded. One of the gates at USMA has been known as Stoney Lonesome Gate ever since.
During World War II many barracks and other buildings, which still stand, were built on the base. In January 2008, the Town of New Windsor received a $2.5 million grant from the state to demolish 30–40 buildings as part of the redevelopment of the former base. First Columbia, the developer, said that 20–30 could be retained and reused.[13]
Stewart Air Force Base/Stewart Air National Guard Base
After the creation of the United States Air Force following World War II, the army airfield was converted to an air force base while still being used for training of cadets at West Point. Stewart became the home of Headquarters 1st Region Army Air Defense Command in 1966. It remained so until the deactivation of the Nike Hercules system at the end of 1974. The air force base was deactivated in 1970 and it officially remained unoccupied by the Air Force until 1983, when the 105th Airlift Wing (105 AW) and the 213th Engineer Installation Squadron (213 EIS) of the New York Air National Guard took up quarters. The Air National Guard unit has flown support missions not only for U.S. military operations in Iraq and Afghanistan but also for humanitarian relief efforts.
This area of the airport, now called Stewart Air National Guard Base, was home to the Air Force C-5 Galaxy aircraft before being replaced by the newer and smaller C-17 Globemaster III in 2011. Stewart ANGB also hosted VMGR-452, a Marine Corps Reserve squadron flying the KC-130J, until 2022.
Stewart International Airport
MTA Expansion plan
In the early 1970s, Governor Nelson Rockefeller's administration saw the potential for Stewart to support the metropolitan area. Its long runway made it particularly attractive for intercontinental service via supersonic transport (SST), then under development in the U.S. and elsewhere.
The Metropolitan Transportation Authority was the first government body to try to convert it into the New York metropolitan area's fourth major airport. It tripled the airport's territory, extending its land well beyond its previous western boundary at Drury Lane, a two-lane rural road. The state government used its eminent domain powers to take 7,500 acres (30 km2) for terminals, runways and a buffer zone expanding the airport from Newburgh into neighboring towns of Montgomery and a small portion of Hamptonburgh. The land was bounded by I-84 to the north, Route 207 along the south and roughly by Rock Tavern and Maybrook in the west.
Local opposition
Area residents who were already fighting a large power plant proposal at nearby Storm King Mountain fiercely fought the expansion. They took the state to court, ultimately forcing the legislature to write and pass the New York State Eminent Domain Procedure Act, a sweeping overhaul of its existing law on the subject. In order to get the last holdouts off their land, state officials pledged that outside the proposed airport facilities, none of the land taken would ever be redeveloped, a promise that was to haunt them years later.
By the time the land was finally available, the 1973 oil crisis and the attendant increase in the price of jet fuel had forced airlines to cut back, and some of the airport's original backers began arguing it was no longer economically viable. US SST development was canceled in 1971, undercutting another argument for the project. Malcolm Wilson, Rockefeller's successor, put the project on hold; and his successor, Hugh Carey, ended it permanently in 1976.
New York State Department of Transportation ownership
In early 1981, the 52 U.S. hostages held at the former U.S. Embassy in Tehran, Iran, returned to American soil at Stewart International following two weeks at U.S. bases in Germany and 444 days of captivity, ending the Iran hostage crisis. The route they took from Stewart International to West Point is marked today as "Freedom Road."[14]
The next year the state transferred control from MTA to its own Department of Transportation (NYSDOT), with a mandate to improve and develop the airport. Three years later W.R. Grace became the first private tenant when it built a corporate jet hangar, and the following year an industrial park was built nearby. Finally, in 1990, commercial airline service began with American Airlines offering service with three daily round trips to both Chicago and Raleigh/Durham.
Continuing development issues
As the 1980s wore on, veterans of earlier battles over Stewart returned to start new ones. NYSDOT and the Stewart Airport Commission found themselves overseeing not only the airport but the acres of now-vacant land the state had acquired a decade before. After turning over management of most of the property to the state's Department of Environmental Conservation (DEC), which was better equipped for the task, it still faced the problem of what to do with the land.
The region's needs had changed. With IBM and other large industrial concerns cutting workers and closing plants, and people leaving, a large swath of buildable land with few environmental problems was seen by many in the local business community as a goose's golden egg. It couldn't be a sprawling airport, but it could be something else, they thought.
But those people who remained or moved up from more crowded areas to the south had begun to enjoy the outdoor recreation possibilities the lands, referred to variously as the Stewart Properties or the buffer, offered. Mountain bikers, horses, dirt bikers, ATVers, and hikers had all begun to explore and create trails, and DEC's management opened up the area as a popular spot for local hunters and anglers. DEC had also released captured beavers on the properties, who built dams and created new wetlands.
One local hunter, Ben Kissam, formed the Stewart Park and Reserve Coalition (SPARC) in 1987 to oppose efforts to develop the lands. They and other environmentalists and conservationists argued that the whole area would be better off left as a park, pointing to the growing diversity of species on the lands and the state's original promise not to redevelop the area. They were joined, too, by some area residents who said that the existing air traffic, particularly the military C-5s, was noisy enough as it was.
Also generating a lot of noise was the continuing debate in Orange County about what to do with the land, with participants' choice of words ("buffer" vs. "properties") suggesting where they stood, and interpretations differing about just how much of the land was really meant to serve as a buffer.
The administration of Mario Cuomo tried several times to come up with a plan that would balance these interests, but failed. As one of its last acts, it started a renovation of the passenger terminal using a federal grant.
SWF had occasionally had scheduled air-taxi service, but in April 1990 American Airlines arrived with three Boeing 727-200 nonstops a day to Chicago and three more to its new hub in Raleigh–Durham. Nonstop flights to Dallas Fort/Worth were later added as well. Jet nonstops to Atlanta (Delta) and Pittsburgh (USAir) appeared in the next couple of years; Delta later added Cincinnati and USAir tried Baltimore.

Privatization
In 1994 George Pataki campaigned on improving efficiencies by privatizing money-losing state projects. Ronald Lauder, who had written a book about European successes in privatizations, suggested Stewart be privatized. Pataki created the New York State Council on Privatization and appointed Lauder its chair.
Federal law at the time required that all airports providing passenger service had to be owned by some public entity. With much support from the New York delegation, the United States Congress eventually passed legislation allowing five airports to be privatized as a pilot program, providing certain conditions, such as approval by the Federal Aviation Administration (FAA) and by the carriers representing at least two-thirds of the airport's flights.
In 1997 the state formally began, through the Empire State Development Corporation (ESDC), the process of soliciting bids for a 99-year lease on the airport and, potentially, the adjacent undeveloped lands as well, whatever bidders wanted.[15] Efforts by SPARC, now headed by Kissam's widow Sandra, and other citizen activists to find out about who might be bidding and what they planned to do with Stewart were blocked by the state's invocation of a clause in its State Finance Law prohibiting disclosure of competitive bids prior to the award of the contract: an interpretation that survived a court challenge.
Two years later, after approval by the state's attorney general and comptroller as well as the FAA and the carriers,[15] the contract was awarded to the UK-based National Express PLC, the only one of five bidders to have declined to present at a special forum organized a week prior to award, and also a company Lauder had praised in his book for its success with the UK's national bus service and subsequent acquisition of East Midlands Airport, leading to some suspicions that the state had always intended to give it the airport from the beginning. NEG (National Express Group) was prepared to pay $35 million for the lease, and after working out the details Pataki handed over a ceremonial key at the passenger terminal in late 2000.
The award also ended, for the most part, the controversy over whether to develop the properties or not. NEG was uninterested in the lands west of Drury Lane, and Pataki announced with the privatization deal that he was directing that ownership as well as management of 5,600 acres (22.4 km2) of the lands west of an envelope DOT retained around Drury for possible future development or disposal be transferred directly to DEC, which has since made that portion Stewart State Forest.
Stewart was one of the many regional airports to be used during the Emergency Ground Stop after the September 11th Attacks, taking in dozens of planes forced to land.
The Drury Lane exit

Simultaneously with the privatization, the state proceeded with long-held plans to build a new interchange on Interstate 84 at Drury Lane, which would also be widened. A four-lane east–west access road, International Boulevard, would also be created to better solve the airport's longstanding access problems (see below). Conveniently, the initial price tag, $35 million, was exactly the amount bid by National Express. The new exit, designated 5A, was opened in the fourth quarter of 2007.[16] The new north–south route is now designated Route 747.
Another complication emerged due to the proximity of the Catskill Aqueduct of New York City's water supply system to the exit; a proposed widening of Drury between the interstate and Route 17K would have required that a bridge be built over the aqueduct to protect it from the vibrations associated with heavy trucks, adding to the cost of the whole project. An alternative emerged during a value-engineering study of simply rerouting Drury to create another four-way intersection farther down 17K, which was ultimately done.
Whether the properties along Drury could even be developed in any measure remains to be seen, as a good portion of that parcel is either wetlands or a 45-acre (18 ha) trapezoid-shaped Runway Protection Zone in which the FAA mandates that nothing be built, and the remainder is land considered by conservationists to be the best land in the properties.
SPARC, the Orange County Federation of Sportsmen's Clubs and the national Sierra Club filed a lawsuit in federal court alleging that required environmental reviews were not done or done improperly; that action tied up the exit's construction for a while. In March 2005, an area slated for wetlands mitigation under the plans was found to harbor purple milkweed, a Species of Special Concern on the National Heritage Program's rare plant list. SPARC and its co-plaintiffs sought an injunction against further action such as the consideration of bids, yet that went ahead anyway.
The controversy was settled by a deal announced on November 21 of that year. SPARC accepted a compromise where in exchange for the construction of the exit and access road 1,700 acres (6.8 km2) of the remaining buffer lands would be added to the forest and restrictions would be imposed on development of the remaining 400 acres (1.6 km2) in the northeast corner of the properties, near the exit.[17]

In July 2006, the state formally transferred ownership of the state forest from DOT to DEC, ending the process of creating Stewart State Forest. Orange County was not thrilled with the state's decision to charge it $3.7 million for the area near the exit, saying that it was too much on top of the costs it would incur putting in infrastructure. DOT said it was just asking fair market value for the land.[18]
NEG Management
NEG's marketing initiatives included several proposed new names for the airport to emphasize its proximity to the city. The last one, in 2006, which would have dropped the "Stewart" name entirely, met with local opposition and was ultimately dropped.
Stewart has a limited selection of flights available and is relatively uncrowded most of the day. Some tenants have moved into nearby former military buildings, but most remain as unoccupied as they were the day the base was closed. It has drawn some passengers from western Connecticut who might otherwise have flown out of Hartford. But most of the fliers within Stewart's catchment area have continued to prefer Albany International Airport, Newark or other metropolitan airports.
Delta pulled out of the airport shortly after the privatization announcement, ostensibly to better serve new routes it had won to Latin America, leaving it to codeshare partners Comair and ASA. Even one of the "tourist draws" for the airport evaporated in 2003 when the Concorde was retired. Its pilots had sometimes used the lengthy runway to practice touch-and-go landings.
NEG's dealings with the state were not as harmonious as they were initially represented; documents made public by SPARC after the privatization was completed showed that there were many lingering issues between the two parties even at that time and that NEG had in fact considered breaking the deal at one point (as it would later ultimately do). The company has gone through some local management shuffles as well, and the parent corporation's sale of East Midlands, considered the example it would follow with Stewart, was a cause for concern in the region.
While some local officials expressed disappointment, others saw NEG as getting out of the airport business entirely to concentrate on its core business in the bus and rail sectors. They hoped at first that another European company with experience running privatized airports would be interested, and industry analysts said the timing was good.[9] Governor Eliot Spitzer promised area leaders that Stewart would be a top priority for his administration, and the Port Authority of New York and New Jersey, which runs the New York area's three main airports, expressed interest in assuming NEG's obligations. Allegiant Air pulled out of Stewart in early 2007 but later returned and currently serves the airport. Both AirTran Airways and JetBlue announced plans for service from Stewart in 2007.[19] AirTran, which had previously served Newburgh in 1995,[20] was subsequently acquired by and merged into Southwest Airlines, which in turn currently does not serve the airport.
Port Authority takeover and end of privatization
On January 25, 2007, the Port Authority voted to buy the lease for Stewart. It took over operating control on November 1, 2007,[10][21] after New Jersey's acting governor Richard Codey signed a bill the New Jersey Legislature had to pass, changing the law to allow the move.[22] The PA will pay NEG $78.5 million for the remaining 93 years on its lease. The day after the takeover, an opening ceremony was held in which New York State Governor Eliot Spitzer attended and the Port Authority flag was raised.[23] It has set aside $500 million in its ten-year capital improvement plan to expand the airport.[24]
Airlines and destinations
Passenger
| Airlines | Destinations |
|---|---|
| Allegiant Air | Myrtle Beach, Orlando/Sanford, Punta Gorda (FL), St. Petersburg/Clearwater |
| Atlantic Airways | Seasonal: Vágar[25] |
| Breeze Airways | Orlando (begins February 15, 2024)[26] Seasonal: Charleston (SC) (begins February 14, 2024)[27] |
| Play | Reykjavík–Keflavík[28] |
Cargo
| Airlines | Destinations |
|---|---|
| FedEx Express | Allentown, Columbus–Rickenbacker, Greensboro, Indianapolis, Memphis, Newark Seasonal: Hartford |
| UPS Airlines | Louisville |
| Kalitta Air | Los Angeles |
Status and expansion
Although 2006's bad numbers may have led NEG to pull out, Stewart's commercial service seemed to be on the rise. Shortly after taking over, the PA reported that the airport's traffic for 2007 would be triple that of 2006.[29] It was reported in January 2008 that Stewart had achieved its goal and had handled 970,000 passengers in 2007.
A 2007 plan envisioned changing Stewart's image over the next 20 years: major renovations such as a new terminal, a train station next to the new terminal connecting the airport to Metro North via a new spur from the Port Jervis Line, a 2,000-foot (610 m) extension of runway 16–34, new taxiways, and a major expansion of the cargo facilities. A new control tower has been built. In the fourth quarter of 2007 Interstate 84's new Drury Lane exit, NY Route 747, and International Boulevard opened.[23]
In addition to commercial and passenger services, Stewart excels in many other areas not seen by the public. NEG had some success selling private helicopter shuttle service to midtown Manhattan's heliports to business travelers from Stewart at rates competitive with those offered from JFK Airport; it also remains a popular place to service corporate jets due to the large space available.
Cargo services are also part of the mix – FedEx Express maintains a large distribution presence just outside the airport, as does the U.S. Postal Service, whose main general-mail facility for the mid-Hudson region is not far away. Importers of plant and animal products also route their flights to Stewart and the USDA inspection facility for those is nearby, on Drury Lane.
In 2005, the airport was used to transport emergency personnel and supplies to help the cleanup after the destruction of Hurricane Katrina, which devastated the Gulf Coast.
With its long runway, Stewart bills itself as an "efficient diversion airport" for aircraft intending to land at one of the three major New York City airports (Newark, LaGuardia, and JFK), especially during bad weather. The largest such diversion occurred during the January 2018 blizzard, when a Singapore Airlines Airbus A380 on a Frankfurt-JFK flight diverted to Stewart after JFK closed. While the airport's runways are sufficiently long to allow such a large aircraft to land and take off, the plane was so large it could not use any of the terminal building's gates. Passengers had to leave the plane using stairs, and were transported to New York City by bus.[30]
American Airlines, which had served Stewart since 1990, ended American Eagle regional jet service to Chicago O'Hare International Airport on September 5, 2007. In 1991, American was operating up to five mainline departures a day nonstop to Chicago O'Hare with Boeing 727-200 jetliners.[31]
In 2008, AirTran Airways ended service to Stewart International Airport.
The Port Authority sees Stewart as offering relief to those airports and (especially) Teterboro, estimating it could handle five times its present passenger volume. It will probably follow its standard procedure and contract the actual operations of the airport out.[23]
In February 2008, the PA's new general manager, Diannae Ehler, said she had been discussing the possibility of foreign flights with a number of European carriers. She felt encouraged and hoped that by 2009 there could be regular passenger service between Stewart and some European destinations.[32]
In September 2010, it was announced that Apple Vacations would begin non-stop charter service to Cancún. Flights are operated by Allegiant Air.
On August 20, 2013, Allegiant Air announced that it would be returning to Stewart with new flights to St. Petersburg/Clearwater after leaving the airport in 2007. Flights began on October 31, 2013.
In May 2015, the Port Authority announced it was considering changing the airport's name to "New York International Airport at Stewart Field." Its stated rationale was to give the airport "global status," to ensure that its name appears higher in Internet searches done by travelers abroad, in keeping with the business model followed by many low-cost European airlines of flying into less busy airports further from the cities they serve in order to keep expenses down. Many local residents were cool to the idea, since the Stewart family name has a long history with the airport and the PA had promised it would never change the name when it took over.[33]
On December 5, 2016, General Manager Edmond Harrison announced that Norwegian Air Shuttle planned to set up a base at Stewart for flights to Europe using its Irish subsidiary.[34] The first international flight departed for Edinburgh on June 15, 2017. On September 14, 2019, Norwegian Air Shuttle ended service.
By 2020, American Eagle had reduced service to one daily flight to Philadelphia. This flight was suspended on October 7, 2020, was resumed on January 5, 2021, then ended on September 30, 2021.[35]
On June 9, 2022, Icelandic airline Play began a daily service to Keflavik with connections to other European destinations.
On May 12, 2023 Frontier Airlines cut their Stewart to Orlando flights after July 2, 2023, meaning that their presence in the airport will be coming to an end after less than 2 years. Between October 2021 and July 2, 2023, Frontier will have commenced and ended flights to Atlanta, Miami, Orlando, Raleigh, and Tampa from SWF. This will leave Allegiant Air as the only airline in Stewart with domestic destinations.[36]
On November 8, 2023 Breeze Airways announced year-round, twice-weekly service to Orlando, FL beginning February 15, 2024 and seasonal, twice-weekly service to Charleston, SC beginning May 10, 2024. [37]
Facilities
New York Stewart International Airport covers 1,552 acres (628 ha) at an elevation of 491 feet (150 m) above mean sea level. It has two asphalt runways and one helipad.[2][38]
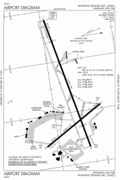
The east–west runway 9–27 is 11,817 feet (3,602 m) long by 150 feet (46 m) wide, but the landing threshold at each end is displaced 2,000 feet (610 m). Aircraft landing to the east have a landing distance available restriction, an additional 1,000-foot (300 m) reduction in length, making only 8,817 feet (2,687 m) usable for landing. Runway 27 has 9,817 feet (2,992 m) available for landing. The full length is available for takeoff in both directions. Runway 9 has an instrument landing system for category I and category II approaches and an ALSF2 approach lighting system. Runway 27 got an instrument landing system in recent years, but without any approach lighting landing minimums for this runway are higher.
The crosswind runway 16–34 is 6,004 feet (1,830 m) long by 150 feet (46 m) wide and each end has GPS-based instrument approaches.
Statistics
For the 12-month period ending April 30, 2023 the airport had 37,133 aircraft operations, an average of 102 per day: 63% general aviation, 9% air taxi, 17% military, and 11% scheduled commercial. In April 2023, 54 aircraft were then based at this airport: 30 jet, 3 multi-engine, 9 military, 6 single-engine, and 6 helicopter.[2]
Federal Aviation Administration records say the airport had 392,464 passenger boardings (enplanements) in calendar year 2008,[39] 197,655 in 2009 and 201,684 in 2010.[40]
Top destinations
| Rank | City | Passengers | Carriers |
|---|---|---|---|
| 1 | Orlando, Florida | 29,000 | Frontier |
| 2 | St. Petersburg, Florida | 17,000 | Allegiant |
| 3 | Tampa, Florida | 16,000 | Frontier |
| 4 | Punta Gorda, Florida | 16,000 | Allegiant |
| 5 | Sanford, Florida | 11,000 | Allegiant |
| 6 | Myrtle Beach, South Carolina | 11,000 | Allegiant |
| 7 | Atlanta, Georgia | 8,000 | Frontier |
| 8 | Fort Lauderdale, Florida | 7,000 | Frontier |
| 9 | Miami, Florida | 4,000 | Frontier |
| 10 | Savannah, Georgia | 3,000 | Allegiant |
| Rank | Airline | Passengers | Market Share |
|---|---|---|---|
| 1 | Frontier | 132,000 | 53.46% |
| 2 | Allegiant | 115,000 | 46.33 |
Annual traffic
| Year | Passengers | Year | Passengers | Year | Passengers |
|---|---|---|---|---|---|
| 1994 | 694,646 | 2004 | 510,563 | 2014 | 309,357 |
| 1995 | 713,942 | 2005 | 398,220 | 2015 | 281,754 |
| 1996 | 730,032 | 2006 | 309,921 | 2016 | 275,421 |
| 1997 | 719,194 | 2007 | 913,927 | 2017 | 448,323 |
| 1998 | 518,447 | 2008 | 789,307 | 2018 | 690,411 |
| 1999 | 362,479 | 2009 | 390,065 | 2019 | 525,715 |
| 2000 | 402,647 | 2010 | 394,902 | 2020 | 97,392 |
| 2001 | 284,085 | 2011 | 413,654 | 2021 | 81,000 |
| 2002 | 227,834 | 2012 | 364,848 | ||
| 2003 | 400,839 | 2013 | 320,682 |
Ground transportation
One of the biggest impediments to the use of Stewart by more airlines and passengers has been getting to it. The Drury Lane exit and the access road, International Boulevard, are intended to remedy this.[47]
There have been plans to possibly implement a light rail connection along Broadway in Newburgh that could conceivably go out to Stewart from the ferry connection with the Metro-North passenger line across the Hudson River in Beacon.[48] This project does not appear likely to happen any time soon. Currently, the only connection is via a shuttle bus.
In 2006, with construction of the Drury Lane exit underway, Senator Charles Schumer put his weight behind getting federal aid for another long-discussed access improvement: a rail link to the nearby Metro-North Port Jervis Line,[49] to give passengers an express train trip from the airport into the city or Newark Airport via Secaucus Junction. This would entail acquiring property and laying new tracks, to link to the existing line somewhere near the Salisbury Mills station. NEG had had success with the similar Gatwick Express and Midland Mainline rail-air connections in its native Britain. While the federal government has approved the idea, the money has not yet been appropriated.
Bus transportation
| Route(s) | Notes | Refs | |
|---|---|---|---|
| Coach USA | Stewart Airport Express | Express bus to Manhattan's Port Authority Bus Terminal | [50] |
| Leprechaun Lines | Newburgh, Beacon, Stewart Shuttle | Shuttle to Beacon station (Metro-North Railroad) | [51] |
Starting in June 2017, to support Norwegian's growth in making the airport a terminal for visitors to New York City, Coach USA began providing a bus service between the airport and Port Authority Bus Terminal in Manhattan. This service is operating under the name "Stewart Airport Express."[52]
Accidents and incidents
On the morning of August 20, 1987, an Emery Worldwide (operating as Rosenbalm Aviation Flight 74) Douglas DC-8-63 collided with Airborne Express Flight 124, operated by a McDonnell Douglas DC-9-31, on Runway 09/27 in fog.[53] The Emery airplane landed without first receiving clearance while the Airborne Express plane, which had landed just prior to the DC-8, was taxiing on the runway. Both aircraft were repaired and returned to service.[53]
In the early-morning hours of September 5, 1996, the pilots of Federal Express Flight 1406, a McDonnell Douglas DC-10-10 from Memphis to Boston reported smoke in the cargo compartment and made an emergency landing at Stewart to fight the fire. All five crewmembers escaped with only minor injuries but, despite a prompt effort by the firefighting teams from the ANG base (which also handle the civilian airport's fire protection needs) the fire completely consumed the aircraft. Two years later, the National Transportation Safety Board (NTSB) traced the source of the fire to an area where some flammables had been stored but could not pin down exactly which had combusted, and faulted the captain for failing to get full information on potentially hazardous materials being shipped.[54]
Early on the morning of November 21, 2007, a single-engine Cirrus piloted by Brian Early of Wayne, Pennsylvania, got lost in the fog on its approach and crashed in the state forest. He had been dropping off his two passengers, a son and one of his friends, to visit friends of theirs at West Point for Thanksgiving. It took rescuers three hours to find the wreckage using the plane's transponder. Early was killed but the younger men survived.[55]
A small aerobatic plane crashed at the airport August 28, 2015, killing the pilot, who was practicing stunts at Stewart for the two-day New York Air Show that was to be held there starting the following day.[56][57] The two-seater single-engine fixed-wing Giles G-202, a homebuilt aircraft, assembled from a kit, was completing dramatic climbs and dives as a crowd of mostly journalists watched below. Around 2 p.m., as the pilot went into a dive followed by a steep corkscrew climb, part of the tail appeared to break off, witnesses said and photographs indicated.[58] The plane then crossed the crowd line and spun over the heads of spectators, crashing in a wooded area behind the crowd.[59] The pilot, the plane's only occupant, was identified as the plane's owner, Andrew Wright of Austin, Texas. The National Transportation Safety Board and the New York State Police were to investigate to determine the crash's probable cause, the state police and Federal Aviation Administration said.[60] The NTSB determined that the resin bond between two parts had failed under stress after repeated aileron rolls. Examination of the bond between the horizontal stabilizer and the flange that attached it to the left side of the fuselage revealed that a portion had a poor bond, with the resin inadequately transferring between the two surfaces. The accident was compared to a similar event in France on the same type of aircraft. As a result of these accidents, the Giles' designer specified several new procedures for aircraft flight handling and inspection.[61]
On August 21, 2018, a Gulfstream IV carrying musician Post Malone and 15 other people made a successful precautionary landing after two main tires blew during takeoff from Teterboro Airport. After circling Teterboro for nearly an hour, in hopes of making an emergency landing, the plane was diverted to Westfield-Barnes Regional Airport in western Massachusetts where it once again circled the airspace, burning fuel before its descent attempt in order to lighten the plane's weight. Once again, the plane was diverted to Stewart International Airport due to Stewart being equipped with longer runways, meaning pilots would not need to engage reverse thrusters or spoilers, thereby lessening the weight on the landing gear and the plane's remaining tires. Ultimately, the plane landed on Runway 9, which is nearly double the length of the longest runway at Teterboro Airport.[62][63]
See also
References
- ↑ "About the Airport". The Port Authority of New York and New Jersey. 2017. Retrieved April 23, 2017.
- 1 2 3 4 5 FAA Airport Form 5010 for SWF PDF. Federal Aviation Administration. effective June 21, 2018.
- ↑ "Stewart International Airport". Port Authority of New York and New Jersey.
- ↑ McGeehan, Patrick (January 30, 2011). "An Airport Whose Time May Not Come". The New York Times. Retrieved February 2, 2011.
- ↑ "Newburgh town, Orange County, New York Archived February 27, 2011, at the Wayback Machine." U.S. Census Bureau. Retrieved on February 2, 2011.
- ↑ "New Windsor town, Orange County, New York Archived February 27, 2011, at the Wayback Machine." U.S. Census Bureau. Retrieved on February 2, 2011.
- ↑ "List of NPIAS Airports" (PDF). FAA.gov. Federal Aviation Administration. October 21, 2016. Retrieved May 20, 2017.
- ↑ Randall, Mike (August 9, 2005). "Discovery could land at Stewart, but don't wait". Times Herald-Record. Archived from the original on December 18, 2007. Retrieved April 23, 2016.
- 1 2 Logan, Tim (September 29, 2006). "Stewart loses operator". Times Herald-Record. Retrieved September 29, 2006.
- 1 2 "Port Authority Authorizes Purchase of Operating Lease at Stewart International Airport" (Press release). Port Authority of New York and New Jersey. January 25, 2007. Retrieved January 26, 2007.
- ↑ "Stewart is officially rebranded as New York Stewart International Airport". MidHudsonNews.com. June 29, 2018. Retrieved June 29, 2018.
- ↑ Stewart International Airport – A Journey in Flight; retrieved from stewartinternationalairport.com January 27, 2007.
- ↑ Randall, Michael (January 27, 2008). "Stewart buildings to be razed". Times-Herald Record. Retrieved January 17, 2008.
- ↑ Randall, Michael (January 25, 2001). "Recalling road to freedom for Iranian hostages". Times Herald-Record. Retrieved November 4, 2011.Archived November 5, 2018, at the Wayback Machine
- 1 2 "Stewart Airport's privatization process". Times Herald-Record. February 2, 2000. Retrieved September 16, 2006.
- ↑ Port Authority of New York and New Jersey; November 24, 2007; http://www.panynj.gov/CommutingTravel/airports/pdfs/swf_fact_sheet.pdf
- ↑ Kissam, Sandra; November 22, 2005; Statement by Sandra Kissam at SPARC Coalition Press Conference at Little Britain Grange; SPARC website; retrieved September 16, 2006.
- ↑ Logan, Tim (September 14, 2006). "$3.7 million bill? Ed Diana says no". Times Herald-Record. Retrieved September 16, 2006.
- ↑ Logan, Tim (December 2, 2006). "Allegiant Air to leave Stewart International Airport in early 2007". Times Herald-Record. Retrieved December 3, 2006.
- ↑ http://www.departedflights.com, April 2, 1995 Official Airline Guide (OAG), Newburgh flight schedules
- ↑ The Port Authority of New York and New Jersey – Press Release Archived March 6, 2008, at the Wayback Machine
- ↑ "Acting NJ governor to sign bill to allow Port Authority control over Stewart". Times Herald-Record. Associated Press. May 3, 2007. Retrieved May 4, 2007.
- 1 2 3 Rife, Judy (January 26, 2007). "Port Authority approves Stewart Airport buyout". Times-Herald Record. Retrieved January 26, 2007.
- ↑ "$69 fares to Europe: Coming soon to two small Northeast airports?". Usatoday.com. December 7, 2016. Retrieved July 27, 2017.
- ↑ "ATLANTIC AIRWAYS ANNOUNCES NEW YORK SERVICE FROM FAROE ISLANDS". March 29, 2023.
- ↑ "Breeze Airways announces 5 new routes from Orlando". WFTV9. November 8, 2023. Retrieved November 8, 2023.
- ↑ "Breeze Airways to launch new service at Stewart Airport". Times Union. November 8, 2023. Retrieved November 8, 2023.
- ↑ "PLAY's new low-cost route between Europe and New York" (Press release). February 2022.
- ↑ Randall, Michael (November 28, 2007). "Stewart Airport will triple traffic in '07". Times-Herald Record. Retrieved November 29, 2007.
- ↑ Josephs, Leslie (January 4, 2018). "World's biggest passenger jet forced to land at small New York airport thanks to blizzard". CNBC. Retrieved January 9, 2018.
- ↑ http://www.departedflights.com, Oct. 1, 1991 Official Airline Guide (OAG), Chicago O'Hare-Newburgh flight schedules
- ↑ Randall, Michael (February 15, 2008). "Stewart woos foreign flights". Times-Herald Record. Retrieved February 15, 2008.
- ↑ Rife, Judy (May 19, 2015). "No consensus on Stewart rebranding". Times-Herald Record. Retrieved May 22, 2015.
- ↑ Wall, Robert (December 5, 2016). "Norwegian Air Shuttle May Open Two U.S. Bases Next Month". Wall Street Journal.
- ↑ AA.com
- ↑ Todd (May 12, 2023). "Frontier falling off radar at Stewart". Mid Hudson News. Retrieved May 12, 2023.
- ↑ https://midhudsonnews.com/2023/11/08/stewart-lands-breeze-airways-flights/
- ↑ "SWF airport data at skyvector.com". skyvector.com. Retrieved September 24, 2022.
- ↑ "Enplanements for CY 2008" (PDF, 1.0 MB). Federal Aviation Administration. December 18, 2009.
- ↑ "Enplanements for CY 2010" (PDF, 189 KB). Federal Aviation Administration. October 4, 2011.
- ↑ "Air Carrier Statistics (Form 41 Traffic)- U.S. Carriers". BTS, Transportation Statistics. Bureau of Transportation Statistics. Retrieved April 5, 2020.
- ↑ "December 2015 Traffic Report, downloaded Feb 24, 2016" (PDF). Retrieved July 27, 2017.
- ↑ "2014 Annual Airport Traffic Report, downloaded Feb 24, 2016" (PDF). Retrieved July 27, 2017.
- ↑ "2007 Annual Airport Traffic Report, downloaded Feb 24, 2016" (PDF). Retrieved July 27, 2017.
- ↑ Stewart passenger volume increases by 63 percent
- ↑
- ↑ Randall, Michael (November 21, 2007). "Drury Lane interchange opens in time for holidays". Times-Herald Record. Retrieved November 21, 2007.
- ↑ Michael, Randall (April 3, 2000). "Newburgh waterfront high on city manager's agenda". Times Herald-Record. Retrieved September 16, 2006.
- ↑ Logan, Tim (March 24, 2005). "Kelly hopes Senate on board for train to Stewart". Times Herald-Record. Retrieved September 16, 2006.
- ↑ https://www.swfny.com/to-from-airport/express-bus-to-nyc Express Bus to and from New York City
- ↑ https://www.swfny.com/to-from-airport/public-transportation Public Transportation
- ↑ "Short Line Bus - Welcome to Stewart Airport Express". Coach USA. Retrieved February 26, 2017.
- 1 2 NTSB (October 6, 1989). "Brief of Accident" (PDF). Retrieved June 17, 2011.
- ↑ National Transportation Safety Board; NTSB report; retrieved September 16, 2006.
- ↑ "Plane crashes near Stewart". Times-Herald Record. November 21, 2007. Archived from the original on November 23, 2007. Retrieved November 22, 2007.
- ↑ "Pilot dies in small plane crash at Stewart Airport". Times-Herald Record. August 28, 2015. Archived from the original on August 28, 2015. Retrieved August 28, 2015.
- ↑ Leland, John (August 28, 2015). "Pilot Killed in Crash of Home-Built Plane at Stewart International Airport". The New York Times. Retrieved August 28, 2015.
- ↑ Eustachewich, Lia; Cohen, Shawn (August 28, 2015). "Pilot dies in NY airshow crash". New York Post. Retrieved August 28, 2015.
- ↑ Golgowski, Nina (August 28, 2015). "Crash at New York Air Show leaves stunt plane's pilot dead". Daily News (New York). Retrieved August 28, 2015.
- ↑ "Pilot dies in crash of small plane practicing for New York Air Show at Stewart". Daily Freeman. August 28, 2015. Retrieved August 28, 2015.
- ↑ "Giles G-202, N18FJ: Fatal accident occurred August 28, 2015 near Stewart International Airport (KSWF), Newburgh, Orange County, New York". Retrieved August 26, 2020.
- ↑ Lamarre, Carl (August 21, 2018). "Post Malone's Plane Prepares to Make Emergency Landing After Tires Blow Out During Takeoff: Reports". Billboard.
- ↑ Kanzler, Kaitlyn; Torrejon, Rodrigo; Sobko, Katie (August 21, 2018). "Plane carrying Post Malone lands safely after blowing 2 tires on takeoff from Teterboro". NorthJersey.com.
External links
Media related to Stewart International Airport at Wikimedia Commons
- Airport home page
by the Port Authority of New York and New Jersey - 105th Air Cargo Wing, New York Air National Guard
- Remember Archie Stewart (site for opponents of 2006 name change)
- History of Stewart International Airport
- Stewart Park and Reserve Coalition
- "New York State DOT Airport Diagram" (PDF).
- FAA Airport Diagram (PDF), effective December 28, 2023
- FAA Terminal Procedures for SWF, effective December 28, 2023
- Resources for this airport:
- AirNav airport information for KSWF
- ASN accident history for SWF
- FlightAware airport information and live flight tracker
- NOAA/NWS weather observations: current, past three days
- SkyVector aeronautical chart for KSWF
- FAA current SWF delay information

.jpg.webp)

