Solomon Kimball House | |
![]() Solomon Kimball House | |
![]() ![]() | |
| Location | 26 Maple Street, Wenham, Massachusetts |
|---|---|
| Coordinates | 42°36′3″N 70°55′13″W / 42.60083°N 70.92028°W |
| Built | 1696 c.1700 (NRHP) |
| Architectural style | Colonial |
| MPS | First Period Buildings of Eastern Massachusetts TR |
| NRHP reference No. | 90000264 [1] |
| Added to NRHP | March 9, 1990 |
The Solomon Kimball House, probably built in 1696,[2] is a historic First Period house in Wenham, Massachusetts. Although named for nineteenth- and early twentieth-century owner Solomon Kimball, the house was built by Thomas and Mary (Solart) Kilham[3]—he the veteran of a pivotal battle in King Philip’s War and she the sister and aunt of defendants in the Salem Witchcraft Trials.
Eighteenth-century owners included Speaker of the Massachusetts House of Deputies William Fairfield, and American Revolutionary War veteran Capt. Matthew Fairfield.
The house was added to the National Register of Historic Places in 1990.
History of ownership
- 1701: Thomas Kilham sold his dwelling house, barn, orchard and house lot of 25 acres (along with 1.5 acres of meadow land in Lord’s Meadow, Wenham) to William Fairfield.[4] Further research is needed to determine when and from whom Thomas bought the parcel.
- 1725: William Fairfield gave the house and a house lot of 2 acres to his son Josiah Fairfield[5] as a wedding gift
Gravestone of Eunice (Cogswell) Fairfield (c. 1704 – 1730), first wife of Josiah Fairfield[6]- William reiterated this gift on two subsequent occasions. First, in 1738, William gave Josiah one-fourth of William’s 45 acres of “homesteads and lands in Wenham and elsewhere” (reserving 16 poles for a burying ground) and another one-fourth to William’s son Benjamin—Josiah’s share including “Thomas Killam[ʼ]s homestead,”[7] and Benjamin’s share including William’s homestead.[8] Second, in his 1742 will, William refers to his deeds of gift to sons Josiah and Benjamin, and gives them the remainder of his real estate, representing 180 acres of “sundry parcels” in Wenham and Ipswich.[9]
- Over the years Josiah added to the acreage of his house lot, expanding it to 46 acres by 1767. He appears to have had some financial difficulty around this time, however, because in January 1767 he sold various assets (his dwelling house, barn, “out houses,” house lot of 46 acres, additional parcels of upland and meadow, lots in Wenham Great Swamp, and his pew in the Wenham Meeting House) to his brother Benjamin for £600[10]—and seven months later purchased the same assets (less a lot of upland and the pew in the meeting house) back from Benjamin for £550,[11] and at the same time sold Benjamin 40 acres on the south side of current-day Maple Street (with barn) for 10 shillings.[12]
- 1771: Josiah Fairfield gave “the back part of my dwelling house [i.e., the lean-to] with the cellar under it and the entry that is between that back house & my dwelling house,” along with one-half of his cider house and cider mill, to his son Capt. Matthew Fairfield[13]
- 1777: Josiah Fairfield died and bequeathed all his real estate to his sons Matthew and Josiah Jr., in reversion, after the death of his wife Elizabeth (Appleton) Fairfield. An inventory of Josiah’s real estate lists a “mansion house,” half a barn, half a cider house, a quarter of a cider mill and about 45 acres of land, the total value of which was £600.[14]
- 1783: Josiah’s widow Elizabeth (Appleton) Fairfield sued Matthew and Josiah Fairfield Jr. to secure her possession of her late husband’s real estate, resulting with a six-acre house lot[15]
- 1797: Matthew Fairfield sold the property (i.e., a “mansion house” and six acres, including a “small piece of land” called “the nursery”) to Thomas Kimball and Joseph Fairfield for $333.33[16]
- 1810: Thomas Kimball died, the inventory of his estate including a house, “old” and “new” barns, a cow barn and “old shop.” Thomas' widow Huldah (Porter) Kimball died in 1835.[17] Their son Thomas Kimball Jr. eventually bought out his siblings’ interests in the real estate.[18]
- 1845: Thomas Kimball Jr. died, and son Solomon E. Kimball inherited his house[19]
- 1924: Solomon E. Kimball died intestate, and son Elwell F. Kimball inherited Solomon’s “[f]arm in Wenham including land and buildings” valued at $5,500.00[20]

Thomas and Mary (Solart) Kilham
Thomas Kilham (or Killam), son of Daniel and Mary (Safford) Kilham, was born in 1653 or 1654 in Wenham, and married Martha Solart c. 1680.[22] Kilham was a veteran of King Philip’s War, serving under Major Samuel Appleton of Ipswich in Appleton’s campaign against the Narragansett, including the Great Swamp Fight of December 19, 1675. In May 1676 the General Court voted to repay soldiers for losses incurred, and voted £2 15d 6s for Kilham’s losses.[23]
Martha (Solart) Kilham was the daughter of John Sr. and Elizabeth (-----) Solart, who kept a tavern in Wenham, still standing at 106 Main Street. John Solart was financially successful, yet drowned himself in 1672 leaving an estate of over £500. His widow soon remarried Ezekiel Woodward, and kept her seven children from receiving their rightful share of Solart’s estate. Eventually, these children successfully petitioned the General Court for redress in 1682.[24]
Martha was a sister of Sarah Good,[25] who was one of the first three to be accused of witchcraft during the Salem witchcraft hysteria and was hanged in 1692. Sarah's 4 year-old daughter Dorothy Good (also known as Dorcas Good) was also accused and arrested for witchcraft. Dorothy Good survived the hysteria, but was the youngest to be accused of witchcraft during the Salem episode.[26]
Thomas and Martha (Solart) Kilham had six children that we know of, all born in Wenham and the last two likely born in the Solomon Kimball House. However, Wenham's records of births for the periods 1681–1685 and 1688–1694 (and deaths for 1679–1694) have been lost. Consequently, we should keep open the possibility that Thomas and Martha had other children who were born and died during the 1680s and early '90s. After all, seven years passed between the birth of their son Thomas Jr. and the baptism of their son Samuel.[27]
- Thomas Jr., born in 1684; died November 26, 1742, probably in Boxford, MA; married Sarah Maxey, April 8, 1712, in Topsfield, MA[28]
- Samuel, baptized in 1691; died after 1740, probably in Wilmington, MA; married Grace Endicott, December 21, 1715, in Boxford, MA[29]
- Martha, probably born between 1693 and 1696, assuming she was between 18 and 21 years old when she married; died December 27, 1754, in Ipswich, MA; married Timothy Bragg, December 23, 1714, in Hamilton, MA[30]
- John, born November 3, 1695; died January 15, 1738/9 in Boxford, MA; married Abigail Symonds, February 3, 1724/5 in Boxford, MA[31]
- Daniel, born May 25, 1698; died October 20, 1699, in Wenham[32]
- Daniel (2nd), born August 14, 1700; was living in Wilmington, MA as late as 1732; married Mary Kenney, February 17, 1725/6 in Danvers, MA[33]
Thomas Kilham sold his house in Wenham to William Fairfield in July 1701 and moved to Boxford (MA).[34] He died there in 1725 and his burial was likely the genesis of the Killam-Curtis Cemetery. Martha died after Thomas did, but no record of her death has survived.[35]
William, Esther (-----) and Rebecca (Tarbox) Fairfield
William Fairfield owned the property from 1701 to 1725. He lived in a house near the current-day intersection of Cherry Street and William Fairfield Drive, a house that he probably built around 1687 coincident with his first marriage.[38] (The land adjacent to Fairfield's house included a burial ground that the family started in 1691.[39]) The Fairfield Farm was contiguous to the Thomas Kilham Farm, and Fairfield apparently bought the Kilham property as an investment. He gave the former Thomas Kilham homestead to his son Josiah Fairfield as a wedding gift in 1725.[40]
A son of Ens. Walter and Sarah (Skipper) Fairfield, William was born October 14, 1662, in Reading, MA, and died on December 18, 1742, in Wenham.[41] He was active in town affairs, and was Town Clerk 1706–1711 and 1724–1729; Moderator of Town Meeting in 1715, 1716, 1733–1736, 1739 and 1741; and was elected deacon of the First Church in 1731.[42] He was a Representative at General Court in 1723, 1728, 1730, and 1732–1742,[43] and “[d]uring the session of 1741, he was Speaker of the House of Deputies, at that time the highest office in the gift of the people, the Governor and Lieut. Governor being appointed by the King.”[44]
He appears to have been one of those shrewd, clear-headed, practical men, whose minds are formed and trained by reflection and experience, rather than by a knowledge of books, or by intercourse with the world. He held, at different times, every office in the gift of the people of his native town and State, and in all, he gained the confidence of those whom he was called to serve. He was also an active member of the church, and for many years one of its deacons. We regret that so little can now be ascertained concerning Mr. Fairfield. An anecdote is still told of him, which is quite characteristic. The common mode of travelling in those days was on horseback. Setting out to attend a session of the Legislature, he became so absorbed in thinking of the business on which they were to enter, and upon his duties as Speaker, that he is said to have actually reached Boston, bridle in hand, before discovering that he had left his horse at home.[45]
William married twice. His first marriage was to Esther ----- about the year 1687.[46] She was born c. 1668 and died on January 21, 1722/1723, in Wenham.[47] William and Esther (-----) Fairfield had thirteen children, all born in Wenham:[48]
- Sarah, born July 23, 1688; died February 6, 1705, in Wenham (buried in Fairfield Family Burial Ground)
- Mary, born December 18, 1689
- William Jr., born October 18, 1691; died October 24, 1691, in Wenham (buried in Fairfield Family Burial Ground)
- William Jr. (2nd), born November 17, 1692
- Esther Jr., born August 12, 1695
- Tabitha, born May 17, 1696; died October 7, 1717, in Wenham (buried in Fairfield Family Burial Ground)
- Abigail, born May 9, 1698
- Elizabeth, born January 9, 1699/1700
- Josiah, born October 12, 1701
- Prudence, born July 13, 1704
- Skipper, born January 2, 1706
- Benjamin, born October 29, 1708
- Rev. John, born November 29, 1712
William’s second marriage was to Mrs. Rebecca (Tarbox) Gott on October 14, 1723, in Wenham.[49] Rebecca was born on August 8, 1672, in Lynn, MA, the daughter of Samuel and Rebecca (Armitage) Tarbox.[50] Her first marriage was to John Gott, whom she married on July 19, 1693, in Salem, MA.[51] (John Gott was the son of Charles and Lydia (Clark) Gott, was born on November 8, 1668, in Wenham,[52] and died on January 25, 1722/3 in Wenham.[53]) She died on July 29, 1765, in Lynn, MA.[54] No children are recorded in Wenham’s vital records for William and Rebecca (Gott) Fairfield.
Capt. Matthew and Abigail (Ayer) Fairfield
Matthew Fairfield, son of Josiah and his second wife Elizabeth (Appleton) Fairfield, was born May 18, 1745, in Wenham (likely in the Solomon Kimball House), married Abigail Ayer on October 22, 1767, in Haverhill (MA), and died on February 11, 1813, in New Boston, NH.[59] Matthew was the first of Josiah’s sons to reach adulthood, and it’s likely that when he married Abigail they took up residence in Josiah and Elizabeth’s house. This was certainly the case by 1771, when Matthew and Abigail were living in the lean-to of the house, Josiah and Elizabeth were living in the other part of the house, and Josiah gave Matthew the lean-to and part of the cellar (along with one half of a cider house and cider mill nearby).[60]
| Matthew Fairfield fought in the Revolutionary War.
His service included the
|
Matthew Fairfield was a veteran of the American Revolutionary War. In December 1774 he was appointed to the three-member town committee that enlisted Wenham’s minutemen.[61] Once the fighting began, he was a private in Capt. Billy Porter’s company of minutemen, Col. John Baker’s regiment, which marched on the alarm of April 19, 1775, serving five days but arriving too late to see the Battles of Lexington and Concord. When Matthew came home, he enlisted at Gloucester (MA) in Col. Samuel Gerrish’s Regiment, and was stationed at Chelsea from early May through December of 1775, being promoted to lieutenant by early June. While stationed at Chelsea, Matthew was part of the Siege of Boston and was at the Battle of Chelsea Creek (May 27 and 28) and the Battle of Bunker Hill (June 17).[62]
As a result of the Continental Army’s reorganization of January 1, 1776, Fairfield was assigned to Col. John Greaton’s 24th Continental Regiment with the rank of lieutenant, and served with this regiment throughout 1776 fighting at the Battle of Trois-Rivières, Quebec (June 8) and the Battle of Valcour Island, Lake Champlain (October 11). The 24th Continental rejoined Gen. Washington’s main army in November 1776 in Morristown, New Jersey, in anticipation of the year-end expiration of many of its troops’ enlistments, and in anticipation of winter quartering.[63] Matthew re-enlisted and was promoted to captain on January 1, 1777, as part of the reorganization of the 13th Massachusetts Regiment (Col. Edward Wigglesworth commanding). He served under Wigglesworth for much of 1777, encamped outside Philadelphia, but did not see battle during this period. Furloughed on August 22 for 60 days, he was discharged on October 22, 1777, the dates of his furlough and discharge apparently linked to the illness and death of his father Josiah Fairfield.[64]
Fairfield was initiated into the Masons in April 1777,[65] and held the office of Steward for the United States Lodge in Danvers in October 1778.[66]
At some point during the Revolution, Capt. Fairfield and his company were sent to Hillsborough County, New Hampshire,
to quell the Tory insurrections, or mobs, that existed … where the old loyal Scotch element so largely predominated. … His greatest troubles were in New Boston, where the Tories had their rendezvous. But it appears that here he found friends, and soon after the war he moved his family from Wenham, Mass., to New Boston, and settled on a tract of land in the south part of the town, where he resided until his death, in 1814 [sic], which was occasioned by the falling of a tree.[67]
Abigail Ayer was the daughter of David and Hannah (Shepard) Ayer, and was born in Haverhill (MA) on November 24, 1746.[68] She died in New Boston on January 28, 1825.[69]

Matthew and Abigail had twelve children, perhaps nine of whom were likely born in the Solomon Kimball House:
- Nabby (Abigail), born July 25, 1768, Wenham; died December 24, 1796[71]
- Betsey (Elizabeth), born April 28, 1770, Wenham; married William Crombie, April 27, 1797[72]
- John, born February 11, 1773, Wenham; married Mehitable Baker (intention recorded October 12, 1799, Wenham)[73]
- Hannah, born February 4, 1775, Wenham; died August 8, 1809; married Capt. Joseph Wilson[74]
- Alice, died in infancy October 20, 1777, Wenham[75]
- Sarah (Sally), baptized August 29, 1779, Wenham; married Benjamin Fairfield (intention recorded April 3, 1803, Wenham)[76]
- Walter, died in infancy[77]
- William, died in infancy[78]
- Charlotte, baptized October 31, 1784, Wenham; married Capt. Joseph Wilson, her widower brother-in-law[79]
- Josiah, perhaps born in New Boston, NH; died in infancy[80]
- Matthew Jr., perhaps born in New Boston, NH; died in infancy[81]
- William (2nd), perhaps born in New Boston, NH; died in infancy[82]
Maps
- 1795: Surveyed by Richard Dodge, this is the oldest map known of Wenham, and shows the town’s boundaries, roads and major bodies of water. Current-day Maple Street appears, as does that portion of current-day Topsfield Road northwest of Maple Street. (Note that current-day Topsfield Road did not extend to the Beverly town line, but stopped at current-day Maple and Cherry Streets.)
- 1831: Surveyed by Philander Anderson, this map shows the expansion of Wenham’s system of roads, the addition of swampland, and a drawing of the Wenham Meeting House.
- Wenham, 1795Wenham, 1831
- 1872: This map shows the Solomon Kimball House as “T. Kimball Est[ate].” The “A. Bagley” house, near the northeast corner of the intersection of current-day Cherry Street and Topsfield Road, was the William Fairfield homestead.
- 1884: This map shows the Solomon Kimball House as “S. Kimball.”
- Wenham, 1872Wenham, 1884
- 1910 (Western & Central Wenham): This map shows the Solomon Kimball House as “S Kimball” and provides the location of the house itself as well as three out buildings. The outline of the house indicates an ell or porch at the northeast corner of the building that no longer exists.
- 1910 (Maple & Bomer Streets): This on-the-ground survey of properties adjacent to Maple and Bomer Streets (Bomer Street subsequently known as the portion of Topsfield Road southwest of Maple and Cherry Streets) shows the location of an orchard and garden belonging to Solomon Kimball, northwest of the Moulton lot (which was opposite Company Lane). The 1910 map of western and central Wenham, however—which likely was not drawn from an on-the-ground survey—identifies the lot northwest of the Moulton lot as “Hrs. E. Kimball” (or heirs of E. Kimball). This label is probably a typo; the lot northwest of the Moulton lot would have been owned by heirs of Thomas Kimball or by Solomon Kimball himself.
- Western & Central Wenham, 1910Maple & Bomer Streets, Wenham, 1910
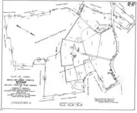
- 1955: The subdivision of the Solomon Kimball farm began in 1955 and continued through the mid-1960s, creating Puritan Road, Mayflower Drive and the lots facing those streets. This 1955 map, drawn at the beginning of the subdivision program, shows the location and outline of the Solomon Kimball House and two outbuildings; note the outline of an ell or porch on the north side of the house that no longer exists.[83]
Solomon Kimball House Site, 1955
See also
Notes
- ↑ "National Register Information System". National Register of Historic Places. National Park Service. April 15, 2008.
- ↑ On March 6, 1695/6 Thomas Kilham was given permission by the town to cut enough pine timber (from town-owned common land) to yield 700 boards, suggesting that the house was built during the warm months of 1696 or 1697. On January 8, 1699/1700 he received a grant of timber for building a 25-foot x 22-foot barn. See Wenham Historical Society, Wenham Town Records, 1642–1706 (Salem, MA: Newcomb & Gauss, 1930), 130, 175-176.
- ↑ Deed from William Fairfield to Josiah Fairfield, Feb. 13, 1737/8, refers to “Thomas Killam[ʼ]s homestead.” See Essex County (MA) Deeds, Book 78, pp. 178-179.
- ↑ Essex County (MA) Deeds, Book 15, p. 63, deed dated July 22, 1701.
- ↑ Essex County (MA) Deeds, Book 70, pp. 75-76, deed dated April __ 1725.
- ↑ Gravestone of Eunice (Cogswell) Fairfield, Fairfield Family Burial Ground, William Fairfield Drive, Wenham, MA, February 7, 2013 photograph and transcription by Robert O. Corcoran:
HERE LYES Ye BODY OF
Mrs EUNICE FAIRFIED
WIFE TO Mr JOSIAH
FAIRFIELD DECD JULY
Ye 25. 1730
IN Ye 27. YEAR
OF HER AGE
Gravestones for Josiah Fairfield and his second wife Elizabeth (Appleton) Fairfield not found. For record of Eunice’s death see Essex Institute, Vital Records of Wenham, To the End of the Year 1849 (Salem, MA: The Essex Institute, 1904), 196; she appears to have died because of complications from childbirth, since daughter Eunice (Junior) was born on July 23, 1730, per Vital Records of Wenham (1904), 33. - ↑ Essex County (MA) Deeds, Book 78, pp. 178-179, deed dated February 13, 1737/8.
- ↑ Essex County (MA) Deeds, Book 84, pp. 121-122, deed dated February 13, 1737/8.
- ↑ Essex County (MA) Probate, Docket 9198, will dated June 29, 1742.
- ↑ Essex County (MA) Deeds, Book 121, pp. 231-232, deed dated January 14, 1767.
- ↑ Essex County (MA) Deeds, Book 126, pp. 217-218, deed dated August 10, 1767.
- ↑ Essex County (MA) Deeds, Book 125, p. 143, deed dated August 10, 1767.
- ↑ Essex County (MA) Deeds, Book 135, pp. 80-81, deed dated January 13, 1771.
- ↑ Essex County (MA) Probate, Docket 9191, will dated September 27, 1777 and inventory dated December 1, 1777.
For death of Josiah on October 5, 1777 see Vital Records of Wenham (1904), 196. - ↑ Essex County (MA) Deeds, Book 141, pp. 123-124, dated July 18, 1783, resolved August 5, 1783. The house lot is described as follows:
First we assigned & sett off the
Dwelling house of Said Josiah Fairfield Esqr deceased in Wenham & the appurte-
nances also the land under & adjoining to said house bounded as follows viz
beginning at the highway westerly on land of the heirs of Daniel Gott decease-
ed Northerly & Easterly on Land of Francis Porter Southerly on the highway to
the bounds first mentioned Also a Small piece of land bounded as follows viz
Westerly on land of Said Porter Northerly on land of Benjamin Fairfield
Southerly on the highway to the bounds first mentioned the whole contain-
ing about Six acres be the same more or less
Further research is needed to ascertain when Elizabeth (Appleton) Fairfield died. - ↑ Essex County (MA) Deeds, Book 162, p. 277, deed dated February 23, 1797.
Further research is needed to determine when Joseph Fairfield conveyed his interest in the property to Thomas Kimball. - ↑ Essex County (MA) Probate, Docket 15769, Estate Administration, March 5, 1811.
Wellington Pool, “Inscriptions From Gravestones in the Old Burying Ground in Wenham” (1887), 11: “In Memory of | MR. THOMAS KIMBALL | who departed this life, | Dec. 27 1810. |Æt. 54. | Retire my friends dry up your tears, | Here I must rest till Christ appears.” “In memory of | Mrs. Huldah Kimball, | wife of | Mr. Thomas Kimball, | who died Feb. 27 1835 | aged 75 years. | Also their Son | Mr. John Kimball | who died Nov. 15, 1835, aged 44 years. | Happy souls your days are ended | All your sufferings here below | Go by angel guards attended | To the arms of Jesus go.”
Vital Records of Wenham, 1904, pp. 207 (Huldah’s death on February 27, 1835), 209 (Thomas’ death on December 27, 1810). - ↑ See Essex County (MA) Deeds, Book 203, p. 248 for March 21, 1814 deed from John Kimball to Thomas Kimball Jr., selling his interest in the real estate of Thomas Kimball; see Essex County (MA) Deeds, Book 220, p. 68 for March 14, 1815 deed from Edmund and wife Mary Kimball, and Ebenezer and wife Betsey Todd to Thomas Kimball Jr., selling their interest in the real estate of Thomas Kimball.
See Essex County (MA) Deeds, Book 214, p. 131 for August 8, 1817 mortgage of Thomas Kimball to Edmund Kimball, mortgage released December 6, 1820, describing two lots totaling 100 acres, bordered in part by current-day Maple Street and current-day Topsfield Road. - ↑ Pool, “Inscriptions From Gravestones in the Old Burying Ground in Wenham” (1887), 11: “Mr. | THOS. KIMBALL | Died | Oct. 25, 1845. | Æt. 56.”
Vital Records of Wenham (1904), 209 (death of Thomas on October 25, 1845).
See Essex County (MA) Deeds, Book 708, p. 111, deed dated February 7, 1866, in which Edmund and wife Mary O. Kimball, Ebenezer and Susan Kimball, and Joseph G. and Nancy Kent sell (for $50.00) to Solomon E. Kimball their interest in “[a] certain farm which was the homestead of our late father, Thomas Kimball” and three other lots of land inherited from Thomas Kimball.
See Essex County (MA) Deeds, Book 4145, p. 107, recorded March 4, 1955, for copy of record of death of Betsey E. Kimball (daughter of Thomas Jr. and Nancy Kimball) who died September 4, 1864 in Wenham; see Book 4145, p. 108, recorded March 4, 1955, for copy of record of death of Sarah J. Kimball (daughter of Thomas Jr. and Nancy Kimball) who died December 27, 1852 in Wenham; see Book 4145, p. 109 for Affirmation of Elwell F. Kimball stating that Thomas Kimball (Jr.) died at Wenham in October 1846 [sic]. - ↑ Essex County (MA) Probate, Docket 150305, Petition, November 18, 1924, in which Elwell F. Kimball of Thompson, CT states that Solomon E. Kimball last dwelt in Gloucester and died September 4, 1924; Administrator's Inventory, February 3, 1925 (valuation of farm).
- ↑ Photographed Sept. 27, 1900 by Benjamin H. Conant (1843-1921). Image courtesy of the Wenham Museum, Wenham, MA, B. H. Conant Collection, Plate #01757.
- ↑ Sidney Perley, The Dwellings of Boxford (Salem, MA: The Essex Institute, 1893), 148.
William Stowell Mills, “The Early Kilhams,” The New England Historical and Genealogical Register (Boston: New England Historic Genealogical Society), 56 (1902):345, 346. - ↑ George M. Bodge, “Soldiers in King Philip’s War,” The New England Historical and Genealogical Register (Boston: New England Historic Genealogical Society), 38 (1884):441, 443.
Bodge, Soldiers in King Philip’s War (Boston: Rockwell and Churchill Press, 1896), 155, 157. - ↑ For death of John “Soolard” the “Frenchman” on May 24, 1672, see Vital Records of Wenham (1904), 220; for marriage of Elizabeth “Soolart” and Ezekiel Woodward on December 20, 1672, see Vital Records of Wenham (1904), 166. (Evidently, “Solart” is an anglicized version of a French name.)
Paul Boyer and Stephen Nissenbaum, eds., Salem-Village Witchcraft (Boston: Northeastern University Press, 1972), 141-142 (“Petition of the Surviving Children of John Solart,” signers of which included “Thomas Kelham and wife Martha”).
Boyer and Nissenbaum, Salem Possessed: The Social Origins of Witchcraft (Cambridge, MA: Harvard University Press, 1974), 203.
Wenham Historical Association & Museum, Wenham in Pictures and Prose (Wenham, MA: Wenham Historical Association & Museum, Inc., 1992), 12-13. - ↑ Signers of the “Petition of the Surviving Children of John Solart” included not only “Thomas Kelham and wife Martha” (as noted earlier), but also “Daniel Poole and wife Sarah.” See Boyer and Nissenbaum, eds., Salem-Village Witchcraft (1972), 141-142.
Sarah (Solart) Poole subsequently married William Good; see “Attachment Against William and Sarah Good” in Boyer and Nissenbaum, eds. Salem-Village Witchcraft (1972), 142-143. - ↑ Boyer and Nissenbaum, Salem Possessed (1974), 3, 5.
- ↑ All children: Mills, "The Early Kilhams" (1902), 346.
Children #4-6: Vital Records of Wenham (1904), 48, 205. - ↑ Gravestone of Thomas Kilham Jr., Boxford Village Cemetery, Georgetown Road, East Boxford, MA.
Perley, The Dwellings of Boxford (1893), 152.
Mills, "The Early Kilhams" (1902), 346.
Topsfield Historical Society, Vital Records of Topsfield, Massachusetts, To the End of the Year 1849 (Salem, MA: Newcomb & Gauss, 1903), 159.
Vital Records of Wenham (1904), 135. - ↑ Wenham First Congregational Church, Records of the Congregational Church, Wenham, Mass., 1643–1805, MS, Congregational Library, Boston, 163.
Mills, "The Early Kilhams" (1902), 346.
Topsfield Historical Society, Vital Records of Boxford, Massachusetts, To the End of the Year 1849 (Salem, MA: Newcomb & Gauss, 1905), 164. - ↑ Mills, "The Early Kilhams" (1902), 346.
Essex Institute, Vital Records of Ipswich, Massachusetts, To the End of the Year 1849 (Salem, MA: Newcomb & Gauss, 1910), 1:45 and 2:55, 495. - ↑ Perley, The Dwellings of Boxford (1893), 148.
Mills, "The Early Kilhams" (1902), 346.
Vital Records of Wenham (1904), 48.
Topsfield Historical Society, Vital Records of Boxford (1905), 87, 163, 199. - ↑ Mills, "The Early Kilhams" (1902), 346.
Vital Records of Wenham (1904), 48. - ↑ Mills,"The Early Kilhams" (1902), 346.
Vital Records of Wenham (1904), 48. - ↑ Essex County (MA) Deeds, Book 15, p. 63.
Thomas Kilham bought the 100-acre farm of Zerubabel Endicott, which was located on property that had been part of a 550-acre grant to Endicott’s grandfather, Governor John Endicott, for £180. The farm included a house that Zerubabel Endicott had built circa 1682, as well as a barn. The farm no longer exists, due to the construction of U.S. Route I-95. The farm house originally stood about 50 feet from the bridge for the Masconomet Regional School, exit #51 over route I-95, in what is now the median strip; it was subsequently moved to River Road, Topsfield (MA). A family cemetery (the Killam-Curtis Cemetery) is located in the southeast corner of the school property, and it is thought that Kilham and his wife are buried here. Thomas Kilham’s daughter-in-law Grace Endicott was a daughter of Zerubabel Endicott.
Perley, The Dwellings of Boxford (1893), 147-148, citing transaction date of January 25, 1701/2.
Mills, “The Early Kilhams” (1902), 346, citing transaction date of January 15, 1701/2.
Rick Kilham, citing George S. Brown, Yarmouth, Nova Scotia, Genealogies, Genealogical Publishing Co., 1993 (see www.gravematter.com/kilham-boxford.asp). - ↑ Neither Thomas’s nor Martha’s death is recorded in the published vital records of Boxford or Topsfield. Thomas deeded his Boxford homestead to his sons Thomas Jr., John and Samuel in March 1725, and had died by September 1725 when Thomas Jr. and John signed a deed that divided the property that they had jointly inherited from their late father. See Essex County Deeds 44:240 (Thomas Kilham to Samuel Kilham, 1725), 181 (Thomas Kilham to Thomas Jr. and John Kilham, 1725); and 48:33 (division of property between Thomas Jr. and John Kilham, 1725). Thomas Sr.’s deed to his sons Thomas Jr. and John made reference to Thomas Sr.’s (unnamed) wife—which suggests that she probably survived him—and assigned them the responsibility of providing for Thomas Sr.’s and her funerals.
- ↑ The town clerk's records from this period are available on microfilm at the Massachusetts State Archives. The grant to Kilham was made March 6, 1695/6, and appears in the middle of the left-hand page:
Att a meeting of the Select men
March: the 6th 1695/6
Libertey granted to Lt Fiske to gitt Six pine Trees for board & Shingle & two hemlock Trees for planke.
To Samuel Fiske Taylor libertey to gitt Six Trees for board & pine Timber anuf to make three thousand of Shingles
To Thomas Kellum libertey to gitt pine timber anuff to make seven hundred of boards - - - ”
A transcription of the grant appears in Wenham Historical Society, Wenham Town Records, 1642–1706 (1930), 130. - ↑ The town clerk's records from this period are available on microfilm at the Massachusetts State Archives. The grant to Kilham was made January 8, 1699/1700, and appears in the lower right-hand corner of this image:
To Thomas Kellum Libertey for timber for the building of a barne of Twentey five foot long & twenty two foot wide & timber for boards for Covering and Incloseing of it: & Timber for Two hundred, of Railes & a fourtey posts
A transcription of the grant appears in Wenham Historical Society, Wenham Town Records, 1642–1706 (1930), 175-176. - ↑ William’s house was on the north side of what is now Cherry Street, about 200 feet east of what is now Topsfield Road, and appears as the “A. Bagley” house in the 1872 Beers’ atlas of Wenham. William’s grandfather John Fairfield was granted 90 acres in the vicinity of the current-day intersection of Cherry Street and Topsfield Road in 1639, and “[t]he grant was used as farmland until it became the home of [William Fairfield].” See Wenham in Pictures and Prose, 1992, pp. 126-128.
- ↑ The oldest gravestone in the burial ground is that for William Fairfield Jr., who died in infancy in 1691. The Fairfield Family Burial Ground is Wenham’s only surviving family cemetery. It’s possible that other families similarly buried their loved ones on their own land, but if another family cemetery existed, the memory of it—as well as its grave markers—had disappeared by 1860. (The Fairfield Family Burial Ground is the only cemetery other than the town cemetery included in the history of the town published that year. See Allen, The History of Wenham, 1860, pp. 126-132.) If the Fairfields began using the burial ground prior to William Jr.’s death, any older gravestones had disappeared by the time of the compilation of Vital Records of Wenham, published in 1904, as William Jr.’s is the oldest gravestone record included for that cemetery.
- ↑ In William’s 1725 deed to Josiah, it is clear that Josiah was already living in the former Thomas Kilham house. Josiah had married Eunice Cogswell on December 21, 1724 in Ipswich; see Essex Institute, Vital Records of Ipswich, 1910, vol. 2, p. 156.
- ↑ Marriage of “Walter Fayerfield” and “Sarah Shippen” on December 28, 1654: Thomas W. Baldwin, Vital Records of Reading, Massachusetts, To the Year 1850, Boston, Wright & Potter Printing Co., 1912, p. 336. “Shippen” is probably a transcription error by Baldwin, since the name “Skipper” was given to various descendants of Walter and Sarah Fairfield (per www.fairfieldfamily.com). See also Clarence Almon Torrey, New England Marriages Prior to 1700, Baltimore, MD, Genealogical Publishing Co., 1985, p. 257.
Birth: Baldwin, Vital Records of Reading, 1912, p. 90.
Death: Vital Records of Wenham, 1904, p. 197. - ↑ Allen, The History of Wenham, 1860, pp. 103, 203.
- ↑ Allen, The History of Wenham, 1860, p. 102.
- ↑ Allen, The History of Wenham, 1860, p. 62.
- ↑ Allen, The History of Wenham, 1860, pp. 136-137.
- ↑ Torrey, New England Marriages Prior to 1700, 1985, p. 257 (married before 1690).
John A. Schultz, Legislators of the Massachusetts General Court 1691-1780, Boston, Northeastern University Press, 1997, p. 216 (married circa 1687). - ↑ Vital Records of Wenham, 1904, p. 196.
- ↑ All children: www.fairfieldfamily.com; see also Wynn Cowan Fairfield, "Descendants of John Fairfield of Wenham," New York, 1953, pp. 11-13.
Children #1, 3 & 6: Gravestones of Sarah, William Jr., and Tabitha Fairfield, Fairfield Family Burial Ground, William Fairfield Drive, Wenham, MA.
Vital Records of Wenham, 1904, pp. 33 (children #10-13), 35 (children #7-9; child #6’s birth), 196 (child #1’s death), 197 (child #3; child #6’s death). - ↑ Vital Records of Wenham, 1904, p. 117.
- ↑ Rev. Increase N. Tarbox, D.D., “John Tarbox of Lynn, and His Descendants,” The New England Historical and Genealogical Register, Boston, David Clapp & Son, vol. 42 (1888), p. 30.
Essex Institute, Vital Records of Lynn, Massachusetts, To the End of the Year 1849, Salem, MA, Newcomb & Gauss, 1905, vol. 1, p. 394 (birth); vol. 2 (1906), pp. 24, 368 (marriage of parents on November 14, 1665). - ↑ Essex Institute, Vital Records of Salem, Massachusetts, To the End of the Year 1849, Salem, MA, Newcomb & Gauss, 1925, vol. 3, p. 343.
See also Tarbox, “John Tarbox of Lynn,” 1888, p. 30; and Torrey, New England Marriages Prior to 1700, 1985, p. 314. - ↑ Horace Davis, Ancestry of John Davis and Eliza Bancroft, San Francisco, 1897, pp. 38-39, 41.
Vital Records of Wenham, 1904, pp. 41 (birth), 125 (marriage of parents on December 25, 1665). (See also Essex Institute, Vital Records of Lynn, vol. 2, 1906, p. 156 for marriage of parents on December 25, 1665).
William Richard Cutter, Genealogical and Personal Memoirs Relating to the Families of Boston and Eastern Massachusetts, New York, Lewis Historical Publishing Co., 1908, p. 869. - ↑ Pool, “Inscriptions From Gravestones in the Old Burying Ground in Wenham,” 1882, p. 18: “Here Lies the body | of Lievtent John Gott | Who died the 25th | of January 1722-3 | in the 54year of his Age.”
Vital Records of Wenham, 1904, p. 201. - ↑ John T. Moulton, Inscriptions From the Old Burying Ground, Lynn, Mass., Salem, MA, The Essex Institute, 1886, p. 47: "Here lyes ye body of Mrs Rebecca Fairfield, widow to Deacon William Fairfield, who died July ye 29, 1765, in ye 93 year of her age."
Essex Institute, Vital Records of Lynn, 1906, vol. 2, p. 476. - ↑ Primary gravestone of William Fairfield, Fairfield Family Burial Ground, William Fairfield Drive, Wenham, MA, April 27, 2013 photograph and transcription by Robert O. Corcoran:
HERE LIES BURIED Ye BODY
OF THE HONOURABLE
WILLIAM FAIRFIELD ESqr
SOMETIME SPEAKER
OF THE HOUSE
OF REPRESENTATIUES
AND FOR MANY YEARS
A DEACN OF Ye CHURCH
IN WENHAM AND REPR
ESENTATIUE FOR Sd TOWN
WHO DIED DECR 18th
1742 IN Ye 81st
YEAR OF HIS AGE
This "primary" gravestone appears to be placed at the head of William's grave, while the "secondary" gravestone appears to be placed at the foot of his grave.
A transcription of this stone appears in Allen, The History of Wenham, 1860, p. 132, but the transcription contains typographical differences and an erroneous date of December 19th. - ↑ Secondary gravestone of William Fairfield, Fairfield Family Burial Ground, William Fairfield Drive, Wenham, MA, April 27, 2013 photograph and transcription by Robert O. Corcoran:
WILLIAM
FAIRFIELD
ESqr
1742
This "secondary" gravestone appears to be placed at the foot of William's grave. - ↑ Gravestone of Esther (-----) Fairfield, Fairfield Family Burial Ground, William Fairfield Drive, Wenham, MA, April 27, 2013 photograph and transcription by Robert O. Corcoran:
HERE LYES Ye BODY OF
Mrs ESTHER FAIERFIELD
WIFE TO Mr WILLIAM
FAIERFIELD AGED About
55 YEARS DECD JANry
Ye 21st 1722/3 - ↑ Gravestone of Rebecca (Tarbox) (Gott) Fairfield, Western Burial Ground, Market Square, Lynn, MA, August 21, 2013 photograph and transcription by Robert O. Corcoran:
Here Lyes ye BODY OF
Mrs REBECCA FAIRFIELD
Widow to Deacon WILLIAM
FAIRFIELD Who died
July ye 29th (rest of stone buried) - ↑ Birth: Vital Records of Wenham, 1904, p. 35.
Marriage: Vital Records of Wenham, 1904, p. 87 (marriage intention April 11, 1767, “Mrs. Abigail Ayers”); Vital Records of Haverhill, Massachusetts, to the End of the Year 1849, Topsfield, MA, Topsfield Historical Society, 1911, vol. 2, p. 15.
Death: Elliott C. Cogswell, History of New Boston, New Hampshire, Boston, George C. Rand & Avery, 1864, p. 227.
See www.fairfieldfamily.com, Database: “Descendants of John Fairfield,” #170; see also Fairfield, “Descendants of John Fairfield of Wenham,” 1953, pp. 33-34. - ↑ Essex County (MA) Deeds, Book 135, pp. 80-81.
- ↑ Allen, The History of Wenham, 1860, p. 75.
- ↑ “A Muster Roll of Capt. Billy Porter’s Company of Minute men of Wenham in the Regiment whereof John Baker Esqr of Ipswich is Colonel and who marched on the Alarm on the nineteenth day of April 1775,” Muster Rolls of the Revolutionary War 13:38, MS, Massachusetts State Archives (cited subsequently as MRRW).
“The Estate of Capt. Barnabas Dodge’s Company,” Chelsea, June 8, 1775, MRRW 59:1207.
“A Return of Capt. Barnabas Dodge’s Company,” Chelsea, July 28, 1775, MRRW 59:510.
“A Return of the Sick in Coll. Gerrish’s Regiment,” camp location not identified, August 3, 1775, MRRW 59:526.
“A Muster-Roll of the Company under the Command of Captain Barnabas Dodge in Colonel Loami [sic] Baldwin Regiment to the first of August 1775,” camp location not identified, August 1775, MRRW 14:83 (enlisted May 2, 1775).
“Samuel Gerrish Esq’s Regiment, Sewal’s [sic] Point & Chelsea,” August 9, 1775?, Revolutionary War Rolls, 1775-1783 (M246), MS, National Archives and Records Service (cited subsequently as RWR), Roll 0042:25.
“A Return of the 6th Company in the 37th [sic] Regt Commanded by Lt. Col. Baldwin,” camp location not identified, September 1, 1775, MRRW 59:303.
“A Return of the Vacancies in the Several Regiments and Companies in General Heath’s Brigade and their Respective Numbers, with the Names of the Field Commission and Staff Officers, and of those Recommended to Said Vacancies,” camp location not identified, September 20, 1775, RWR, Roll 0136:8.
“A Return of Capt. Barnabas Dodge’s Company In the 38th Redg’mt of foot Commanded by Col. Loammi Baldwin,” Chelsea, October 2, 1775, MRRW 56:261.
“A Return of Capt. Barnabas Dodge’s Company in the 38 Redg of foot Commanded by Col Baldwin,” Chelsea, November 8, 1775, MRRW 59:441.
“A List of the Commissioned Officers for the 26th Regiment … Commanded by Lieutenant Colonel Loammi Baldwin,” camp location not identified, 1775, MRRW 58:22.
“Directions how to bring on the Regiment when you are going to pass Muster,” list of officers in Col. Baldwin’s Regiment, camp location not identified, 1775, MRRW 59:230.
“A List of the Late Capt. Barnabas Dodge’s Company,” camp location not identified, 1775, MRRW 59:572.
Return of Capt. Barnabas Dodge’s Company, camp location not identified, 1775, MRRW 59:786.
“List of the Officers to be Commissioned in the 38th Regt., 1775,” camp location not identified, 1775, MRRW 59:897.
“All those Officers in the 38th Regiment who are Inclined to continue in the Service of the United Colonies are desired to Subscribe this Paper it being agreable [sic] to the Brigadier Generals Orders,” camp location not identified, 1775, MRRW 58:51.
“A List of Officers Col. Baldwin’s Regt. on the New Establishment,” camp location not identified, 1775, MRRW 58:77.
“An account of the Rations of Provisions Due or the Value thereof to the Several Officers in the 38 Regt Commanded by Lt. Col. Baldwin from the 1st day of July to the last day of December 1775 agreeable to General Orders,” Chelsea, December 31, 1775, MRRW 59:1117.
“A Pay Role for the Pay of the Officers Rations Mony [sic] in the 38 Regiment from the first day of July to the Last day of December 1775,” camp location not identified, January 1776?, MRRW 59:1238.
“Samuel Gerrish Esqrs Regiment,” camp location not identified, no date, MRRW 27:208.
National Archives and Records Service, Compiled Service Records of Soldiers Who Served in the American Army During the Revolutionary War (M881), Roll 0469 (Massachusetts, Samuel Gerrish’s Regiment, Mathew [sic] Fairfield).
Richard Frothingham, History of the Siege of Boston, and of the Battles of Lexington, Concord, and Bunker Hill, Second Edition, Boston, Little, Brown and Company, 1851, p. 402.
Allen, The History of Wenham, 1860, p. 83.
John J. Babson, History of the Town of Gloucester, Cape Ann, Including the Town of Rockport, Gloucester, MA, Procter Brothers, 1860, p. 389.
“Orderly Book of Col. William Henshaw,” Proceedings of the Massachusetts Historical Society, 15 (1876–1877), p. 86.
Francis B. Heitman, Historical Register of Officers of the Continental Army During the War of the Revolution, Washington, DC, W. H. Lowdermilk & Co., 1893, p. 171.
Secretary of the Commonwealth, Massachusetts Soldiers and Sailors of the Revolutionary War, Boston, Wright & Potter, 1899, vol. 5, pp. 472, 473. - ↑ “A Return of the Commissioned Staff Officers in the 24th Regt. In the Service of the United Colonies of North America, Commanded by John Greaton Colonel,” camp location not identified, 1776, RWR, Roll 0123:100.
National Archives and Records Service, Compiled Service Records of Soldiers Who Served in the American Army During the Revolutionary War (M881), Roll 0059 (Continental Troops, Twenty-Third [sic] Regiment, Mathew [sic] Fairfield).
Henry B. Carrington, Battles of the American Revolution, New York, A. S. Barnes & Company, 1876, p. 157.
Heitman, Historical Register of Officers of the Continental Army During the War of the Revolution, 1893, p. 171.
Douglas R. Cubbison, The American Northern Theater Army in 1776: The Ruin and Reconstruction of the Continental Force, Jefferson, NC, McFarland & Company, 2010, pp. 106, 174.
Robert K. Wright Jr., The Continental Army, Washington, DC, Center of Military History, United States Army, 1983, pp. 205-206. - ↑ “A Muster Roll of Capt. Mathew [sic] Fairfields Company in the Massachusetts Bay Battalion of Fources [sic] in the Servis [sic] of the United States Commanded by Coll. [sic] Edward Wigglesworth,” camp location not identified, December 10, 1777, RWR, Roll 0038:18.
“A Pay Roll of the Late Capt. Mathew Fairfield in one of the Regts of Foot From the State of Massachusetts Bay Commanded by Coll. [sic] Edward Wigglesworth, Made Up From the 1t [sic] of November to the Last Both Day [sic] included,” camp location not identified, no date, RWR, Roll 0038:18.
“Promotions to take place in Col. Wigglesworths Regt.,” camp site not identified, after December 1777, RWR, Roll 0038:18.
“Abstract of Rations due to Officers in the 4th [sic] Massachusetts Bay Regt. commanded by Colonel Edward Wigglesworth,” Camp Valley Forge, May 26, 1778, RWR, Roll 0038:18 (a record of service in 1777, and not an indication that Fairfield overwintered at Valley Forge).
“Return of the Commissioned and Non-Commissioned Officers and Private Soldiers in the late Capt. Fairfields Company Col. Edward Wigglesworths Battallion [sic] from the State of Massachusetts Bay who where [sic] raisd [sic] & in Actual Service on the 15 day of August 1777 Also those Included who are Deceased, Dichargd [sic] and Deserted,” location not identified, February 1779, MRRW 11:56.
“Mathew Fairfield a Cap: in Collo: Smith’s Regt,” location not identified, November 11, 1785, Continental Army Books 18:292, MS, Massachusetts State Archives.
Statement of Continental Balances, Col. Smith’s (late Wigglesworth’s) Regiment, location not identified, November 11, 1786, MRRW 68:38.
“The United States Dr. [debit] to Commonwealth of Massas. for the amount paid Colo. Calvin Smith, his Officers and Men, to make good the Depreciation of their Wages for the first three years Service in the Continental Army, agreably [sic] to returns from said Regiment. Also for advances to Sundry Deserters in said Regiment made them before their desertion,” location not identified, 1787, MRRW 31:180.
“Return of those Officers that have Resignd [sic], Supernumarys, Dead and Discharged who were Incorporated in the Regiment Late Commanded by Col. Edward Wigglesworth,” camp location not identified, no date, MRRW 11:44.
National Archives and Records Service, Compiled Service Records of Soldiers Who Served in the American Army During the Revolutionary War (M881), Roll 0449 (Massachusetts, Thirteenth Regiment, Mathew [sic] Fairfield).
Heitman, Historical Register of Officers of the Continental Army During the War of the Revolution, 1893, p. 171.
Secretary of the Commonwealth, Massachusetts Soldiers and Sailors of the Revolutionary War (1899), 5:473.
Four depositions made in support of three Revolutionary War pension applications make reference to Capt. Matthew Fairfield commanding a company of soldiers in Wigglesworth’s 13th Massachusetts Regiment in 1777 (the applicants/deponents having been soldiers in Fairfield’s Company). See National Archives and Records Service, Revolutionary War Pension and Bounty-Land-Warrant Application Files (M804), MS, Massachusetts, David Clark, S.36983, depositions of David Clark and Joseph Kimball, 1819; Massachusetts, Joseph Kimball, S.35500, deposition of David Clark, 1818; and Massachusetts, James Rounds, W.7149, deposition of David Clark, 1818.
For Josiah Fairfield’s final illness, Josiah wrote his will on September 26, 1777 and described himself in his will as “being Sick & weak in Body;” see Essex County Probate 9191 (Josiah Fairfield, 1777). Josiah died on October 5, 1777. - ↑ Grand Lodge of Masons in Massachusetts Membership Cards 1733-1990, New England Historic Genealogical Society, www.americanancestors.org, Matthew Fairfield.
- ↑ Grand Lodge of Massachusetts, Proceedings in Masonry, St. John’s Grand Lodge 1733-1792, Massachusetts Grand Lodge 1769-1792, Boston, Rockwell and Churchill, 1895, p. 268.
- ↑ Cogswell, History of New Boston, 1864, p. 409. At p. 227, however, Cogswell provides Fairfield’s date of death as February 11, 1813.
For residency in New Boston, see also D. Hamilton Hurd, History of Hillsborough County, New Hampshire, Philadelphia, J. W. Lewis & Co., 1885, p. 605: “In 1792, Ninian Clark, Matthew Fairfield, Solomon Dodge, James Caldwell and John Cochran were appointed a committee to re-district the town [New Boston], which they proceeded to do, making eleven districts.”
Fairfield, “Descendants of John Fairfield of Wenham,” 1953, p. 33 states that Matthew moved to New Boston in 1785, but does not record his reference. - ↑ Essex County Probate 1072 (David Ayer, 1767), Will.
Town of Wenham, MS Vital Records, 1700–1810, MS, first section, unnumbered page (Ancestry.com, Wenham Births Marriages and Deaths, frame 199).
Sidney Perley, ed., “Ayer Genealogy,” The Essex Antiquarian, 4 (1900):150.
Topsfield Historical Society, Vital Records of Haverhill, Massachusetts, To the End of the Year 1849, Salem, MA, Newcomb & Gauss, 1 (1910):16 and 2 (1911):15.
For gravestone of David Ayer, see Findagrave.com, memorial #51711778. - ↑ Joint gravestone of Capt. Matthew and Abigail (Ayer) Fairfield, New Boston Cemetery.
Fairfield, “Descendants of John Fairfield of Wenham,” 1953, p. 33. - ↑ Joint gravestone of Matthew and Abigail (Ayer) Fairfield, New Boston Cemetery, New Boston, NH, June 9, 2015 photograph and transcription by Robert O. Corcoran:
In memory of CAPT. MATHEW [sic] FAIRFIELD, who died, Feb. 11, 1813; Æt. 67.
MRS. ABIGAIL, wife of Capt. Mathew [sic] Fairfield, died Jan. 28, 1825; Æt. 78.
He was a revolutionary Patriot, whose heart, was ever
warm for the cause of his belov’d Country. - ↑ Vital Records of Wenham, 1904, p. 35.
Fairfield, “Descendants of John Fairfield of Wenham,” 1953, p. 33. - ↑ Vital Records of Wenham, 1904, p. 34.
Fairfield, “Descendants of John Fairfield of Wenham,” 1953, p. 33. - ↑ Vital Records of Wenham, 1904, pp. 34, 177.
Fairfield, “Descendants of John Fairfield of Wenham,” 1953, pp. 33-34. - ↑ Fairfield, “Descendants of John Fairfield of Wenham,” 1953, p. 34.
Birth not found in Vital Records of Wenham, 1904. - ↑ Vital Records of Wenham, 1904, p. 197 (death of an unnamed infant child of Matthew Fairfield).
Fairfield, “Descendants of John Fairfield of Wenham,” 1953, p. 34. - ↑ Vital Records of Wenham, 1904, pp. 34, 117.
Fairfield, “Descendants of John Fairfield of Wenham,” 1953, p. 34; identifies Benjamin as the son of Joseph and Elizabeth (Sweetser) Fairfield. - ↑ Fairfield, “Descendants of John Fairfield of Wenham,” 1953, p. 34.
Birth not found in Vital Records of Wenham, 1904. - ↑ Fairfield, “Descendants of John Fairfield of Wenham,” 1953, p. 34.
Birth not found in Vital Records of Wenham, 1904. - ↑ Vital Records of Wenham, 1904, p. 34.
Fairfield, “Descendants of John Fairfield of Wenham,” 1953, p. 34. - ↑ Fairfield, “Descendants of John Fairfield of Wenham,” 1953, p. 34.
Birth not found in Vital Records of Wenham, 1904. - ↑ Fairfield, “Descendants of John Fairfield of Wenham,” 1953, p. 34.
Birth not found in Vital Records of Wenham, 1904. - ↑ Fairfield, “Descendants of John Fairfield of Wenham,” 1953, p. 34.
Birth not found in Vital Records of Wenham, 1904. - ↑ See Essex County (MA) Deeds, Plan Book 90, plan 89 (1958) for a plan of Puritan Road; Plan Book 97, plan 62 (1961) for the lot lines of a 22.7 acre parcel that would become the Mayflower Drive neighborhood; and Plan Book 106, plan 30 (1966) for a plan of Mayflower Drive. See also Plan Book 73, plan 52, sheet 3 (1941), land of Elwell F. and Luella M. Kimball, for (1) the original location of the driveway and (2) the stone wall along the north side of Maple Street. The driveway was moved (probably when Puritan Road was built) from the property’s southwest corner on Maple Street to the intersection of Maple Street and Puritan Road. The stone wall in front of the house, along the north side of Maple Street, was removed, perhaps at the same time the driveway was relocated.
External links
- Allen, Myron O., The History of Wenham, 1860
- Bodge, George M., Soldiers in King Philip's War,1896
- Fairfield Family Burial Ground
- Fairfield Family Genealogical Site — Includes photographs of the house taken in 1982
- Fairfield, Wynn Cowan, “Descendants of John Fairfield of Wenham,” 1953
- Findagrave.com inventory of the Killam-Curtis Cemetery (Boxford, MA)
- Findagrave.com inventory of the Fairfield Burying Ground, Wenham
- Findagrave.com inventory of the New Boston Cemetery (New Boston, NH)
- Findagrave.com inventory of the Wenham Cemetery
- Massachusetts Cultural Resource Information System (MACRIS)
- Moulton, John T., Inscriptions From the Old Burying Ground, Lynn, Mass., 1886
- Perley, Sidney, The Dwellings of Boxford, 1893
- Pool, Wellington, “Inscriptions From Gravestones in the Old Burying Ground in Wenham,” 1887
- Vital Records of Wenham, 1904
- Wenham Congregational Church Records








_(Gott)_Fairfield_(1672-1765)_(cropped).tif.jpg.webp)






