Harbin Taiping International Airport 哈尔滨太平国际机场 | |||||||||||
|---|---|---|---|---|---|---|---|---|---|---|---|
![]() | |||||||||||
| Summary | |||||||||||
| Airport type | Public | ||||||||||
| Operator | Civil Government | ||||||||||
| Location | Taiping, Daoli, Harbin, Heilongjiang, China | ||||||||||
| Opened | 1979 | ||||||||||
| Hub for | |||||||||||
| Elevation AMSL | 139 m / 456 ft | ||||||||||
| Coordinates | 45°37′24.25″N 126°15′01.18″E / 45.6234028°N 126.2503278°E | ||||||||||
| Website | www | ||||||||||
| Maps | |||||||||||
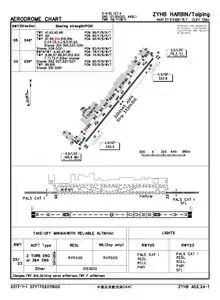
![]() CAAC airport chart | |||||||||||
![]() HRB Location in Heilongjiang ![]() HRB Location in China | |||||||||||
| Runways | |||||||||||
| |||||||||||
| Statistics (2021) | |||||||||||
| |||||||||||
| Harbin Taiping International Airport | |||||||
|---|---|---|---|---|---|---|---|
| Simplified Chinese | 哈尔滨太平国际机场 | ||||||
| Traditional Chinese | 哈爾濱太平國際機場 | ||||||
| |||||||
Harbin Taiping International Airport (IATA: HRB, ICAO: ZYHB) is an international airport serving Harbin, the capital of Northeast China’s Heilongjiang province. The airport handled 20,431,432 passengers in 2018, making it the 20th busiest airport in mainland China.
History
Harbin Taiping Airport, formerly known as Yanjiagang Airport, is located about 37 kilometres (23 mi) southwest of the city of Harbin and was constructed in 1979 with further expansion between 1994 and 1997 at a cost of $960 million RMB. It replaced the old Harbin Majiagou Airport (哈尔滨马家沟机场) that was originally built by the Japanese in 1931.[1][2] In 1984, Taiping was upgraded to an international airport. Today it serves as an important transportation hub for the northeastern region of China and is the largest airport serving Heilongjiang province.
It is capable of handling 6 million passengers annually and has more than 70 air routes, both domestic and international. Currently it has one 3200 m asphalt runway.
By the flight of the Spring Airlines from June 2015, The first LCC international air routes to Nagoya, Japan began.
In 2013, Harbin Taiping International Airport handled 10 million passengers. It is the 23rd Chinese airport which reached the level of 10 million passengers per year.
In 2017, Harbin Taiping International Airport handled 18 million passengers, becoming the 21st busiest airport in Mainland China.[3][4]
To handle the growing number of passengers, the new Terminal 2 opened on 30 April 2018. This terminal is for domestic flights only. All international flights were moved to the old terminal, about 1 mile to the north of Terminal 2, which is being redeveloped to handle international flights.
Description
Harbin Airport was divided into two separate terminals, International and Domestic. On 22 May 2013, in order to build Terminal 2, International Departure and Arrival has been moved to a former terminal.[5]
Airlines and destinations
| Destinations map |
|---|
Destinations from Harbin Taiping International Airport within Heilongjiang |
| Destinations map |
|---|
![]() Harbin International (including HK/Macao/Taiwan) Destinations from Harbin Taiping International Airport |
See also
References
- ↑ "大江东启-哈尔滨马家沟机场的变迁史_腾讯新闻". new.qq.com. Retrieved 5 November 2021.
- ↑ "为什么说黑龙江的民航业不怎么行".
- ↑ 2017年民航机场生产统计公报 (in Chinese (China)). CAAC.
- ↑ 2017年民航机场吞吐量排名 (in Chinese (China)). CAAC. 7 March 2018. Retrieved 11 January 2020.
- ↑ » 哈尔滨机场扩建 国际航站楼封闭 (in Chinese (China)). Sina. 16 May 2013. Retrieved 18 August 2015.
- 1 2 3 4 5 "九元航空冬春航线换季开始,快来看看有没有您心仪的航线!". Retrieved 16 November 2022.
- 1 2 "民航局202324年冬春航季换季颁发、注销国内航线经营许可信息通告". Retrieved 26 October 2023.
- ↑ "Aeroflot Adds Irkutsk – Harbin Service From July 2023". AeroRoutes. No. 28 June 2023. Retrieved 28 June 2023.
- ↑ ""Россия" летит в Китай". www.rossiya-airlines.com (in Russian). «Rossiya airlines» JSC. Retrieved 26 October 2023.
- ↑ "Aeroflot opens ticket sales for flights from Vladivostok to Harbin". WebWire. 28 October 2023. Retrieved 28 October 2023.
- ↑ "【文旅出行】即日起,东营机场开启2022年冬航季!航班时刻表请收藏!". Retrieved 3 February 2023.
- ↑ "国航12月1日新增加杭州—威海—哈尔滨航线_民航资源网".
- ↑ "换季时刻到来,安徽这些机场新航季时刻表记得收藏哦!". Retrieved 17 June 2023.
- ↑ "Авиакомпания "Аврора" увеличивает количество рейсов из Южно-Сахалинска в Харбин". www.flyaurora.ru. Aurora Airlines. Retrieved 31 August 2023.
- 1 2 "Beijing Capital Airlines (JD) #5122 ✈ FlightAware".
- ↑ "夏秋换季上新,首都航空计划新开加频多条航线满足旅客出行需求". Retrieved 1 March 2023.
- 1 2 "Hainan Airlines / HNA Group Carriers NW22 Network Additions". Aeroroutes. Retrieved 11 November 2022.
- 1 2 3 4 5 6 "冬春航季今启航 | 成都航空32条新航线陆续首航,150元新疆区域"无限飞"!". Retrieved 30 November 2023.
- ↑ "目前唯一一个中国直飞苏梅岛航线复航,成都航空夏秋航季新增加密恢复旅游航线". Retrieved 5 March 2023.
- ↑ "Chengdu Airlines Resumes Harbin – Vladivostok Service From late-July 2023". AeroRoutes. 17 July 2023. Retrieved 17 July 2023.
- 1 2 3 "威海机场夏航季开启!辐射39个通航点!". Retrieved 22 March 2023.
- ↑ Liu, Jim. "China Eastern outlines Beijing Daxing network from late-Oct 2019". Routesonline. Retrieved 24 September 2019.
- 1 2 "合肥新桥国际机场冬航季航班计划已启动!还有这个消息!". Retrieved 1 January 2023.
- 1 2 3 "通航75个航点!江西机场26日起迎来夏航季!". Retrieved 26 June 2023.
- ↑ 东航冬春换季新增多条航班 (in Chinese (China)). Carnoc.
- ↑ 东航新开宁波至柳州、延吉等航线 (in Chinese (China)). Carnoc.
- ↑ 新航季 · 新航线 (一) ▎东航3月25日起执行夏秋航季航班计划!. WeChat (in Chinese (China)). Archived from the original on 3 April 2020. Retrieved 12 March 2018.
- ↑ 东航将开通哈尔滨至西安、汕头等城市航线 (in Chinese (China)). Carnoc.
- ↑ "3月26日起,鄂尔多斯机场正式执行夏航季航班(附最新航班时刻表)". Retrieved 30 April 2023.
- ↑ "10月29日起,张家界机场将执行冬春航班计划". Retrieved 29 October 2023.
- 1 2 3 "航班换季 | 叮咚!珠海机场2023年夏航季航班时刻表,请查收~". Retrieved 6 May 2023.
- 1 2 "锡林浩特机场 | 冬春航季持续推出"长者专享9元购"特惠活动". Retrieved 29 October 2023.
- ↑ "承德普宁机场执行冬春航季航班计划". Retrieved 1 January 2023.
- ↑ "【换季预告】南航广西分公司冬春新航季航班预热!". Retrieved 1 November 2022.
- 1 2 "China Southern boosts Harbin international routes in S19". routesonline. Retrieved 12 March 2019.
- 1 2 "潮汕机场2022年冬航季10月30日全新起航". Retrieved 26 January 2023.
- 1 2 "南航将恢复哈尔滨—济南—乌鲁木齐航线_民航资源网".
- ↑ "新航季,新征程—佛山机场顺利换季,佛山=哈尔滨航线顺利开通". Retrieved 10 December 2023.
- ↑ 营口人可以直飞去北京啦!你关心的都在这里_南苑 (in Chinese (China)). Sohu. Archived from the original on 26 March 2023. Retrieved 24 May 2019.
- ↑ "【换季抢先看】收好这份换季航线表,自在出行不用愁". Retrieved 7 November 2022.
- ↑ "东海·新航季 | 最新航线动态一键知晓!". Retrieved 8 December 2022.
- ↑ "【新航季】临汾机场2022年冬春航季航班时刻计划". Retrieved 21 December 2022.
- 1 2 "舟山普陀山机场客运航班全面恢复!". Retrieved 7 February 2023.
- 1 2 "海南航空夏秋航班换季及3月国际/地区航班计划计划出炉". Retrieved 11 March 2023.
- 1 2 "404 您访问的页面找不到了_腾讯网". Archived from the original on 26 March 2023. Retrieved 24 May 2019.
{{cite web}}: Cite uses generic title (help) - ↑ "今年夏航季呼和浩特机场将运营航线161条". Retrieved 25 May 2023.
- ↑ "Hainan Airlines Adds Khabarovsk Service in 1Q23". Aeroroutes. Retrieved 3 January 2023.
- ↑ "【头条】南宁机场2023年冬春航季航班换季预告来啦!". Retrieved 12 December 2023.
- ↑ "10月29日起秦皇岛机场执行冬季航班计划". Retrieved 21 December 2023.
- 1 2 "航班换季|博鳌机场冬春航班时刻表新鲜出炉~". Retrieved 20 December 2023.
- 1 2 国内首条直飞挪威航线!哈尔滨飞奥斯陆只需中转1次 (in Chinese (China)). Sina Heilongjiang. 29 March 2019.
- ↑ "HUNNU AIR BEGINS HARBIN SERVICE IN MID-DEC 2022". Aeroroutes. Retrieved 19 December 2022.
- ↑ Liu, Jim. "Jeju Air 4Q19 network additions". Routesonline. Retrieved 30 September 2019.
- 1 2 "新征程!北海机场2022年冬航季航班计划公布!". Retrieved 8 January 2023.
- 1 2 中国支线机型航线网络观察——幸福航空 (in Chinese (China)). Civil Aviation Data Analysis. 10 May 2018.
- 1 2 "今起,湛江吴川机场将执行冬春航季任务!票价低至⋯⋯". Retrieved 24 December 2022.
- 1 2 "10月29日起,赤峰机场开启执行冬春季航班计划~". Retrieved 5 November 2023.
- ↑ "Juneyao Airlines adds new routes to Japan in W19". routesonline. Retrieved 9 September 2019.
- ↑ "Air China Group/Affiliated Carriers NW22 Domestic Network Additions". Aeroroutes. Retrieved 8 November 2022.
- 1 2 3 4 "龙江航空2022冬春航季航班计划". Retrieved 8 December 2022.
- ↑ "最新!2023年夏航季西宁机场航班时刻表发布!". Retrieved 11 May 2023.
- 1 2 "龙江航空首飞西双版纳机场 开通"西双版纳=青岛=哈尔滨"航线". Retrieved 19 February 2023.
- ↑ "2023夏航季(附航班表)!扬泰机场这边热热闹闹……". Retrieved 20 May 2023.
- ↑ "LongJiang Airlines Routes". FlightRadar24. Retrieved 23 January 2020.
- 1 2 3 4 5 6 "大美中国 浙里出发 | 盘点冬航季新变化,点击查看". Retrieved 10 December 2022.
- 1 2 "襄阳机场2022年冬航季航班计划来啦!多条航线有调整". Retrieved 4 January 2023.
- ↑ "Loong Air NW22 Domestic Network Additions". Aeroroutes. Retrieved 10 November 2022.
- ↑ "3月26日起,长龙航空2023夏航季换季航线全新上线". Retrieved 8 March 2023.
- ↑ "徐州机场2023年冬航季航班时刻表". Retrieved 12 November 2023.
- ↑ "航班换季 | 叮咚!珠海机场2023年冬航季航班时刻表,请查收~". Retrieved 7 November 2023.
- ↑ "无锡除甲醛_新房甲醛治理与检测-无锡绿茵卫士环保科技有限公司". Wuxibr.com. Archived from the original on 26 March 2023. Retrieved 20 August 2022.
- 1 2 "祥鹏航空开通昆明=石家庄=哈尔滨等三条航线_民航资源网".
- 1 2 "【回国航班】南航12月航班计划、青岛航空2022-2023冬春航季航线网络". Retrieved 22 December 2022.
- 1 2 "2023青岛航空夏秋换季航线发布;吉祥航空陆续恢复日本航班". Retrieved 26 March 2023.
- ↑ "图片 青岛航空夏秋航季航线发布 新增20余条航线_民航资源网".
- 1 2 "【公告】29日起!唐山机场执行冬春季航班时刻表". Retrieved 27 December 2023.
- 1 2 "瑞丽航空夏秋换季九线新开,票价低至200元".
- ↑ "Ruili Airlines NW22 Domestic Network Additions". Aeroroutes. Retrieved 11 November 2022.
- ↑ "【首发头条】南宁机场2022年冬航季换季特别资讯". Retrieved 4 February 2023.
- ↑ "深圳航空-航班动态". Archived from the original on 26 March 2023. Retrieved 12 July 2019.
- 1 2 3 "2023年新航季川航最新航线出炉,附国际/地区航线新消息". Retrieved 16 March 2023.
- ↑ "温州机场2022年冬春航季航班计划来了!". Retrieved 28 December 2022.
- ↑ "川航开通哈尔滨=烟台=重庆往返航线_民航资源网".
- ↑ "潮汕出发•无忧出行 | 潮汕机场2023年冬航季精彩启航". Retrieved 10 December 2023.
- ↑ "春秋航空新开多条国内航线". Retrieved 28 February 2023.
- ↑ 哈尔滨到宁波机票查询,哈尔滨到宁波机票预订,哈尔滨到宁波航班查询–春秋航空网 (in Simplified Chinese).
- ↑ 金鹏航空3月31日起新开通济南至哈尔滨等航线(图)-中国民航网 (in Chinese (China)). CAAC News. 27 March 2019.
- ↑ "Ural Airlines Resumes Mainland China Service From late-Nov 2023". Aeroroutes. Retrieved 26 September 2023.
- 1 2 "湛江机场 | 冬春航季航班计划抢"鲜"看,票价最低99元,近半航线起售价不高于300元!". Retrieved 28 November 2023.
- ↑ "好消息!柳州机场新增、加密这5条航线啦,最新航班时刻表请收藏". Retrieved 11 December 2023.
- ↑ 2014年冬春航季,厦航新开重庆-天津-哈尔滨航线,厦航重庆始发航点增至14个。-厦门航空-民航社区. feeyo.com (in Simplified Chinese).
- ↑ "Yakutia Airlines restarts flights from Yakutsk (YKS) to Harbin (HRB) :: Routesonline".




